Plusieurs virus peuvent infecter le bleuet en corymbe, mais au Québec, seulement quelques maladies virales ont été rapportées. Le virus de la tache annulaire de la tomate (ToRSV - Nepovirus) est le virus le plus fréquemment rencontré. Chez le bleuet en corymbe, cette maladie virale est occasionnelle, mais sévère. Le ToRSV a été recensé sur plus de 35 familles de plantes à travers le monde. Il affecte particulièrement les cultures maraichères et fruitières, les plantes ornementales (ligneuses et herbacées) et certaines mauvaises herbes. Le nématode Xiphinema est vecteur de ce virus.
Xiphinema est un nématode ectoparasite qui transmet le virus lorsqu’il se nourrit de la paroi cellulaire des racines à l’aide de son stylet. Il se déplace très lentement entre les particules de sol grâce aux films d’eau. Sa vitesse de déplacement explique la présence de symptômes en petits foyers le long d’une rangée plutôt qu’entre les rangées. Cette information est très pertinente pour le diagnostic au champ. Généralement, les nématodes phytopathogènes n'ont pas une distribution uniforme dans un champ. Au champ, les plants affectés sont distribués de manière éparse ou en petits foyers. Des cultivars sont très sensibles (ex. : cultivars Patriot, Chippewa, Berkely) et d’autres tolérants (ex. : cultivar Bluecrop, Blueray, Jersey). Parfois des baisses de rendement importantes sont enregistrées.
Le principal moyen de dissémination provient de la multiplication végétative telle que le bouturage et le greffage de plants mères virosés. Une fois introduits dans la bleuetière, les nématodes vecteurs (Xiphinema (surtout) et Longidorus) dispersent le virus aux plants voisins. Les Xiphinema hivernent dans le sol. Ils ont six stades de développement soit un stade œuf, quatre stades juvéniles (J1 à J4) et un stade adulte. Tous les stades ont la forme d’un ver et sont mobiles (sauf stade œuf). Au printemps, les jeunes nématodes migrent jusqu’aux racines des plantes hôtes. Ils piquent l’extrémité des racines du bleuetier, principalement dans la zone de la coiffe, en se nourrissant. Xiphinema acquiert le virus en une heure sur une plante infectée et le transmet dans le même temps aux plantes saines. Il peut transmettre le virus durant plusieurs mois. Les populations diminuent lorsque le sol gèle ou que l’humidité du sol est trop élevée ou trop basse. Xiphinema complète son cycle vital en une année. La température optimale pour la reproduction se situe entre 20 et 25 °C.
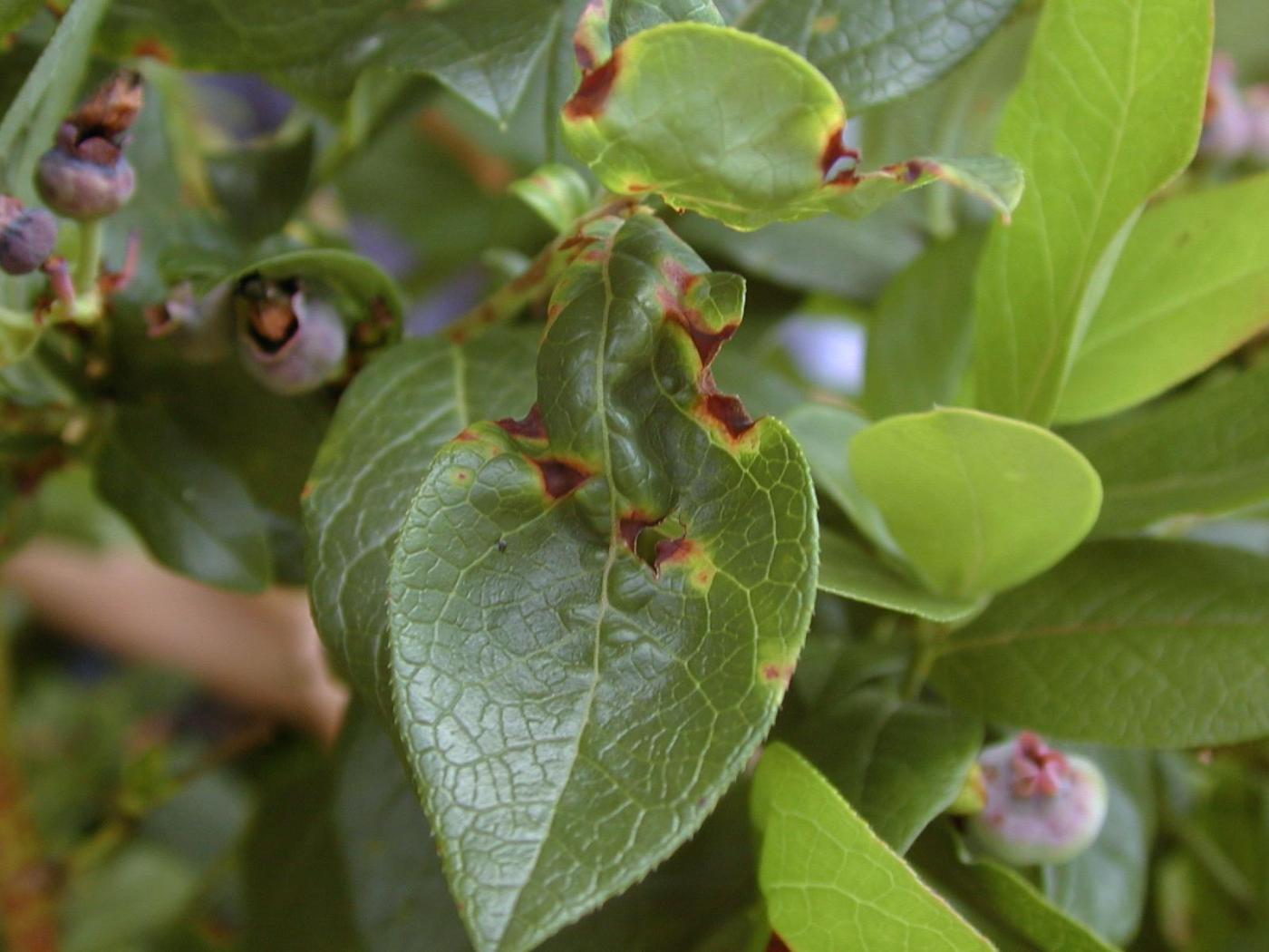
Feuille : sur les jeunes feuilles, présence de taches circulaires, rouges à brunes, souvent entourées d’un halo jaune à jaune verdâtre. Les taches mesurent entre 2 et 5 mm de diamètre. Les taches sèchent puis tombent. Les feuilles sont plus petites, plus épaisses et très rapprochées sur la tige de sorte qu’elles prennent l’apparence de rosettes. Déformation de la feuille conférant au limbe une forme sinueuse.
Fruit : petit et chute facilement au sol. Diminution de la production et de la qualité des fruits sur les tiges infectées.
Tige : présence de taches nécrotiques brunes de 2 à 5 mm de diamètre.
Plant : infection non uniforme à l’intérieur d’un plant avec un mélange de tiges infectées et des feuilles saines ou de tiges infectées et des tiges complètement défoliées. Dépérissement graduel et mort des plants. Nanisme lorsque comparé à un plant sans symptôme.
Le ToRSV peut être confondu avec le virus de la tache nécrotique (TRSV – entrenoeuds très courts), l’anthracnose (Colletotrichum sp. – fleurs et fruits bien formés, pas de rosette foliaire), une carence en bore (pas de taches foliaires, dommage généralisé) et le gel hivernal (dommage généralisé) ou printanier (repousses de tiges sur les plants). Les phytoplasmes produisent les dommages les plus confondants, mais il n’y a pas de taches ni de torsions foliaires et aucun dépérissement de l'extrémité des rameaux.
Il n’y a pas de méthodes de lutte efficace contre les ToRSV dans les cultures vivaces une fois l’infection installée. Un ensemble de mesures préventives reste l’approche la plus recommandable pour éviter la maladie. Pour limiter le développement des virus dans les bleuetières, il faut se procurer des plants certifiés et des cultivars tolérants, faire analyser le sol avant l’établissement d’une nouvelle plantation, éradiquer les mauvaises herbes surtout le pissenlit (Taraxacum officinale), la stellaire moyenne (Stellaria media) et le plantain lancéolé (Plantago lanceolata) qui sont des réservoirs pour Xiphinema et enlever et détruire les plants virosés car ils sont incurables.
Caruso F.L. & Ramsdell D.C. (Eds) (1995). Tomato Ringspot. Dans Compendium of Blueberry and Cranberry Diseases. APS Press. The American Phytopathological Society Press, St-Paul, Minnesota. p. 55-56.
Lambert L., Laplante G.H., Carisset O. & Vincent C. (2007). Maladies virales chez le bleuet en corymbe. Dans Guide de maladies, ravageurs et organismes bénéfiques du fraisier, du framboisier et du bleuetier. CRAAQ (Centre de référence en agriculture et agroalimentaire du Québec). p. 230-239.
http://www.agrireseau.qc.ca/lab/documents/ToRSV%20du%20bleuet_final.pdf
http://migarden.msu.edu/uploads/files/E3048.pdf
http://www.cabi.org/isc/datasheet/54076











