La cyperméthrine est un insecticide utilisé pour lutter contre divers insectes nuisibles dans une vaste gamme de cultures. Elle est homologuée dans la culture de la fraise. Cet insecticide appartient au groupe de résistance 3A qui comprend les pyréthrines. La cyperméthrine est un dérivé du pyrèthre une substance insecticide naturelle contenue dans certaines plantes. Ces insecticides agissent sur le système nerveux de l’insecte affectant le modulateur du canal sodium qui a une action sur une protéine de l’insecte. Elle agit par contact ou par ingestion de manière à éradiquer aussi bien les larves que les insectes adultes. Chez la fraise, la cyperméthrine contrôle la punaise terne (Lygus lineolaris), l’anthonome de la fleur du fraisier (Anthonomus signatus) et le cercope des prés (Philaenus spumarius).
L’application du Ripcord doit être faite le soir pour empêcher sa dégradation par le soleil et la chaleur. L’effet du Ripcord diminue avec l’augmentation de la température et devient inefficace à une température supérieure à 28 °C. Il est toxique pour les acariens et autres arthropodes prédateurs.
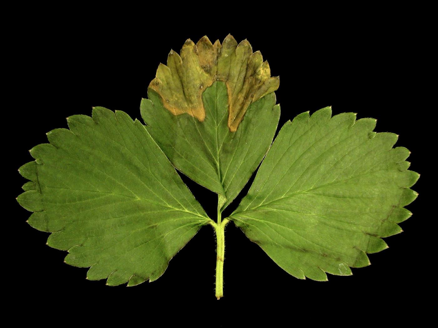
Pour diminuer les risques de phytotoxicité, il faut éviter les dérives sur les cultures lors de l’application, utiliser des jets dirigés au besoin, idéalement, ne pas appliquer lorsqu’il fait soleil ou trop chaud, respecter les consignes inscrites sur l’étiquette et bien nettoyer le pulvérisateur.
Feuille : brûlures vert terne à brunes, délimitées par une marge foncée, débutant à l’apex ou à la marge des feuilles.


