Heracleum maximum W. Bartram
La berce laineuse est une espèce bisannuelle ou vivace, indigène en Amérique du Nord. Il s’agit d’une plante monocarpique, c’est-à-dire qu’elle ne fleurit qu’une seule fois et meurt après la floraison. Les premières années, la plante produit une rosette de feuilles. Ensuite, la tige florifère se développe, elle mesure de 1 à 3 m de hauteur et de 1 à 5 cm de diamètre. Elle est robuste, cannelée et creuse. Sa surface présente des poils blancs et souples et parfois, des taches diffuses allant de rouges à violettes. Le système racinaire est composé d’une racine pivotante, s'enfonçant peu profondément dans le sol, et de nombreuses racines fibreuses.
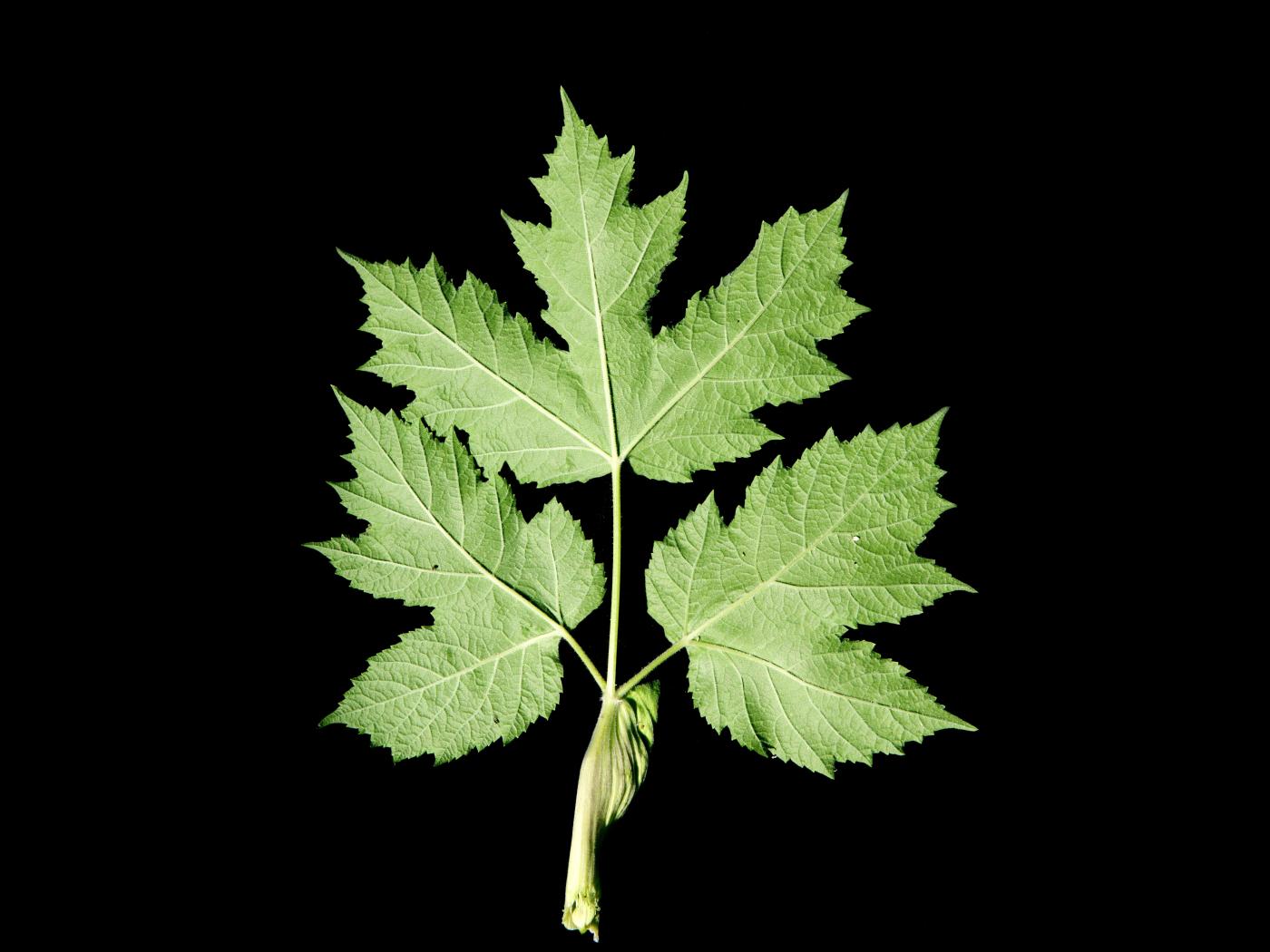
Les feuilles mesurent de 20 à 40 cm de longueur. Elles sont composées de 3 à 5 folioles découpées et à marge grossièrement dentée. Les folioles inférieures sont portées par un pétiolule de plus de 10 cm de longueur. La face inférieure des feuilles est recouverte de poils blancs, souples et laineux donnant une texture feutrée au limbe.
Les fleurs, composées de 5 pétales, sont blanches à roses et sont réunies en ombelles terminales. Ces dernières mesurent de 15 à 20 cm de diamètre et comprennent de 15 à 50 rayons. Les rayons sont inégaux et mesurent de 0,2 à 9,5 cm de longueur. L'ombelle de la tige principale contient des fleurs bisexués et les ombelles secondaires surtout des fleurs mâles.
Le fruit est un schizocarpe composé de 2 méricarpes soudés, qui mesure de 8 à 12 mm de longueur. Il est finement pubescent, de forme elliptique et aplatie. Il est porté par un pédicelle de 0,8 à 2 cm de longueur. Il comprend 6 tubes, soit 4 d'un côté et 2 de l'autre.
La berce laineuse est retrouvée dans les endroits humides, par exemple, au bord des ruisseaux, des marais, des fossés et des routes. Elle préfère les endroits ouverts, mais peut tout de même être retrouvée dans les endroits ombragés.
La berce laineuse peut être confondue avec la berce du Caucase (Heracleum mantegazzianum) à tous les stades de croissances. La berce du Caucase se distingue par sa grande taille (de 3 à 5 m de hauteur), sa tige qui présente de nombreuses taches rouge pourpre et ses feuilles glabres à la face inférieure.
Cette espèce ne devrait pas faire l'objet de mesures d'éradication, car elle est indigène et n’est pas envahissante. Cependant, dans certaines circonstances, il peut être préférable de l’éliminer. Dans ce cas, arracher la racine du sol à l’aide d’une pelle à environ 20 cm de la surface, cela suffit pour éliminer toute chance de survie du plant. Une fois le plant arraché, il faut l...Lire la suite
Cette espèce ne devrait pas faire l'objet de mesures d'éradication, car elle est indigène et n’est pas envahissante. Cependant, dans certaines circonstances, il peut être préférable de l’éliminer. Dans ce cas, arracher la racine du sol à l’aide d’une pelle à environ 20 cm de la surface, cela suffit pour éliminer toute chance de survie du plant. Une fois le plant arraché, il faut le ramasser, le mettre en sac et le faire sécher au soleil.
N.B. Il est important de se protéger adéquatement avant d’arracher les plants pour éviter le contact de la peau avec la sève résultant en une brûlure. Le port de bottes de caoutchouc, une combinaison imperméable jetable, des gants de caoutchouc ainsi qu’une visière est de mise.
La berce laineuse est une espèce indigène et surtout non envahissante. Elle ne doit pas faire l’objet de mesures d’éradications. C’est pourquoi il est important de la distinguer de la berce du Caucase, qui est une espèce exotique et très envahissante qui peut se répandre rapidement dans divers milieux et former des colonies étendues.
Tout comme la berce du Caucase, la sève de la berce laineuse contient des substances toxiques (furocoumarines), particulièrement concentrées au niveau des feuilles, qui rendent la peau très sensible au soleil et causent des lésions cutanées qui s’apparentent à des brûlures.
Gleason H. A. & Cronquist A. C. (1991). Manual of Vascular Plants of Northeastern United States and Adjacent Canada. 2e éd. New York Botanical Garden. 910 pp.
Lavoie C. (2019). 50 plantes envahissantes – Protéger la nature et l’agriculture. Les publications du Québec. 415 pp.
Herbier du Québec
http://herbierduquebec.gouv.qc.ca/plante/berce-laineuse
Ministère du Développement durable, Environnement et Lutte contre les changements climatiques
La berce du Caucase (gouv.qc.ca)











