Les phytoplasmes sont des bactéries sans paroi cellulaire ni rigidité et d’une forme variable (sphérique, allongée, irrégulière). Ils vivent dans le système vasculaire (phloème) des plantes et dans les insectes vecteurs. Le phytoplasme de la jaunisse de l’aster affecte plus de 300 espèces de plantes dont de nombreuses plantes ornementales, cultures légumières (carotte, céleri, laitue, tomate), les graminées (blé, orge) et quelques mauvaises herbes (plantain, pissenlit, etc.). Chez les plantes ornementales, l’aster de Chine (reine-marguerite), le bégonia, le cyclamen, l’échinacée, le gerbéra, le tagète et le zinnia sont parmi les plus sensibles. En général, cette maladie est fréquente, mais les dommages sont mineurs. Les symptômes les plus dommageables sont produits sur les fleurs et les fruits.
La jaunisse de l’aster est transmise principalement par la cicadelle de l’aster (Macrosteles quadrilineatus). Les phytoplasmes parasitent de façon obligatoire les insectes vecteurs et le phloème des plantes dans lequel ils se multiplient. Les plants infectés le sont à vie. La cicadelle de l’aster arrive des graminées sur lesquelles elle hiberne au stade d’œuf. Vers la mi-juin, l’émergence des larves coïncide avec l’arrivée dans les champs de graminées d’adultes provenant du sud et transportés par les courants d’air chauds. Les larves et les adultes sont donc présents dans les champs de la mi-juin à la fin août. Au cours de la saison, les adultes colonisent d’autres cultures et infectent les plants lorsqu’elles se nourrissent. Pour transmettre la maladie, il faut que les cicadelles soient déjà porteuses. Les cicadelles s’infectent lorsqu’elles se nourrissent sur des plantes infectées. Une période d’incubation variant entre 2 à 3 semaines est nécessaire pour que les phytoplasmes se multiplient dans les cicadelles et aillent se loger dans ses glandes salivaires. Les phytoplasmes sont injectés dans la plante lorsque le vecteur se nourrit sur un plant sain pendant une période de temps substantielle (min 8 heures) pour pouvoir contaminer le phloème. Les symptômes se manifestent dix jours à trois semaines après l’inoculation du phytoplasme dans la plante, selon la température et la plante. Tous les facteurs qui rendent les plantes succulentes ou luxuriantes augmentent les risques de dommages par les cicadelles (conditions pluvieuses, excès d’azote, etc.).
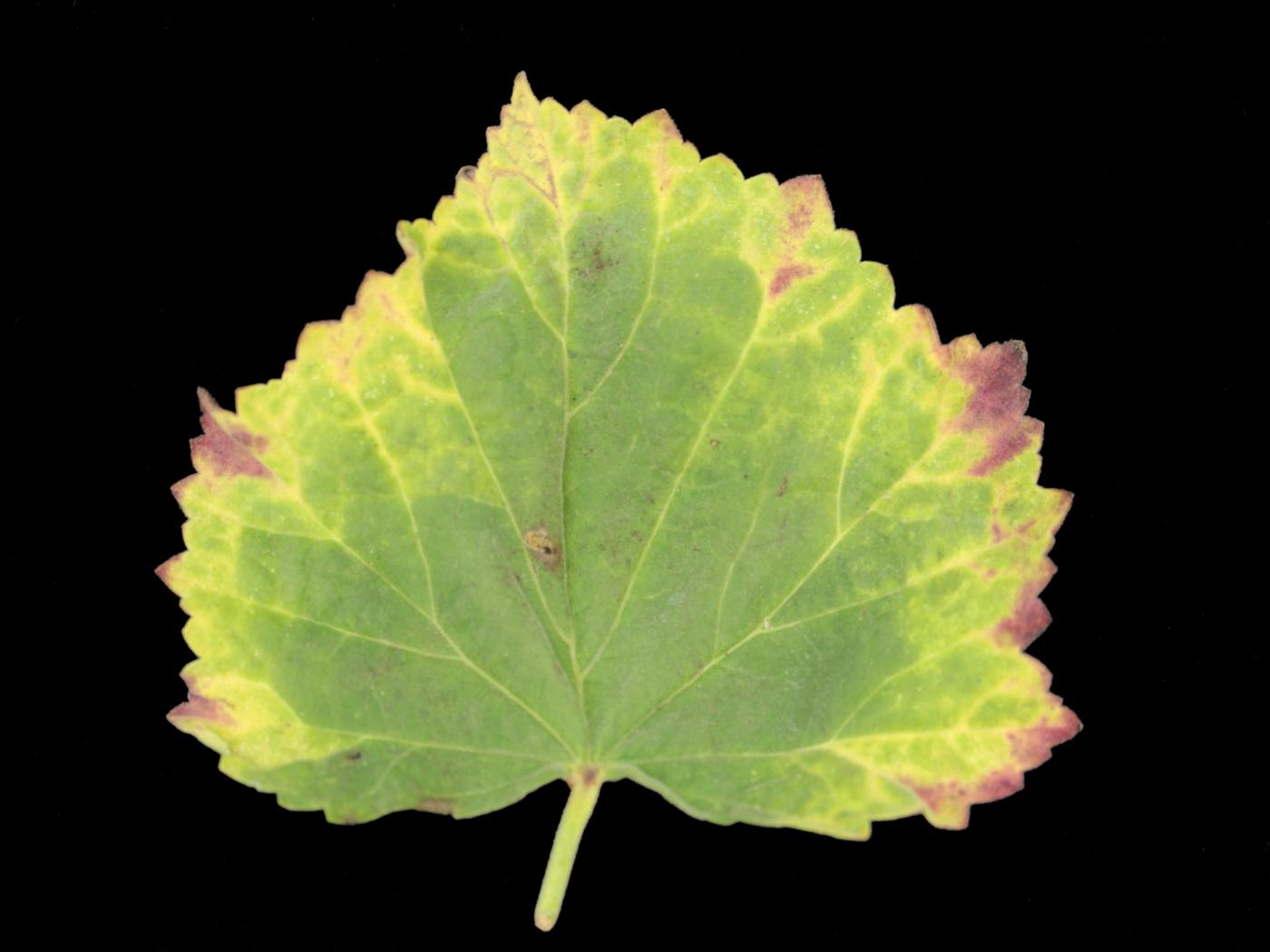
Les symptômes sont en lien avec le stade de développement de la plante. Les symptômes sont plus discrets sur les jeunes feuilles et les jeunes plants.
Feuille : jaunissement du limbe et éclaircissement des nervures des jeunes feuilles. Les vieilles feuilles deviennent bronze à rouges à pourpres. Les feuilles peuvent être enroulées et déformées. Lorsque l’infection survient tôt dans le développement de la plante, la croissance est ralentie, les feuilles forment des rosettes et sont souvent plus étroites que les feuilles saines.
Fleur : présence de malformations et d’anomalies de coloration (jaunissement, verdissement). Stérilité des fleurs (aucune graine, graines anormales ou non viables). Virescence et phyllodie potentielles. Les plants avec de la phyllodie ont souvent des feuilles dans les fleurs ou à la place de pétales. La phyllodie apparait lorsque l’infection se produit tôt dans le développement du bourgeon à fleurs.
Tige (pousse) : groupe de pousses grêles, jaunes et dressées se développant sur les plants infectés, souvent sur un seul côté du plant, donnant un aspect de « balai de sorcière » à la plante. Les balais de sorcière sont rarement observés chez les plantes ornementales.
Corme et tubercule : maturité plus hâtive et calibre souvent réduit.
Racine : prolifération de racines.
Plant : ont un faible développement (nanisme) et semblent rabougris.
Chez les plantes ornementales, les symptômes de feuilles enroulées ou déformées causés par la jaunisse de l’aster peuvent être confondus avec des dommages causés par une phytotoxicité par les herbicides.
Pour diminuer cette maladie et la prolifération de cicadelles, il faut prioriser la lutte aux mauvaises herbes qui sont des plantes réservoirs pour les cicadelles. Il fait désherber le long des fossés, des clôtures, dans les champs, les pépinières et le long des serres. Utiliser du matériel végétal sain, cultiver des plantes qui sont moins sensibles aux cicadelles (célosie crête de coq, géranium, impatiens, sauge, verveine, plantes ligneuses ornementales, etc.), assurer un bon suivi des populations de cicadelles (filet et pièges collants), utiliser des paillis réfléchissants (ex. : feuille d’aluminium) qui éloignent les cicadelles des plants. Enlever et détruire les plantes infectées. La lutte chimique donne des résultats mitigés.
Chase A. R., Daughtrey M. L. & Cloyd R. A. (Ed) (2018). Phytoplasma Diseases. Dans Compendium of Bedding Plant Diseases and Pests. APS Press, The American Phytopathological Society, St-Paul, Minnesota. p. 7-8.
Daughtrey M. L., Wick R. L. & Peterson J. L. (Eds) (2006). Diseases Caused by Phytoplasmas. Dans Compendium of Flowering Potted Plant Diseases. APS Press, The American Phytopathological Society, St-Paul, Minnesota. p. 58.
Dreistadt S. H. (2001). Phytoplasmas. Dans Integrated Pest Management for Floriculture and Nurseries. University of California, Publication 3402. p. 129-130.
Dreistadt S. H. (2001). Leafhoppers and Sharpshooters. Dans Integrated Pest Management for Floriculture and Nurseries. University of California, Publication 3402. p. 193-194.
Gleason M. L., Daughtrey M. L., Chase A. R., Moorman G. W. & Mueller D. S. (2009). Phytoplasmas. Dans Diseases of Herbaceous Perennials. APS Press, The American Phytopathological Society, St-Paul, Minnesota. p. 20-21.
http://www.missouribotanicalgarden.org/gardens-gardening/your-garden/help-for-the-home-gardener/advice-tips-resources/pests-and-problems/diseases/viruses/aster-yellows.aspx
https://wimastergardener.org/files/2015/12/aster_yellows.pdf
http://www.ipm.iastate.edu/ipm/hortnews/2006/9-13/asteryellows.html



