La pourriture noire est une maladie très importante de la vigne. Elle est fréquente et peut causer des pertes de rendement variant entre 5 et 80 % selon la sévérité de la maladie qui est tributaire du taux d’inoculum, des conditions climatiques et de la sensibilité des cépages. Les jeunes tissus succulents sont les plus susceptibles d’être infectés. Les cultivars de Vitis vinifera sont très sensibles à cette maladie, comparativement aux hybrides américains.

Le champignon hiverne sous la forme d’ascospores et de pycnides dans les fruits momifiés et les vrilles tombées sur le sol ou qui sont restées accrochées sur les fils de fer. Au printemps, les ascospores nécessitent de l’eau libre pour germer puis éjecter les spores. La majorité des éjections sont réalisées avant la fin de la floraison. Les spores initient les infections primaires sur les jeunes tissus verts. Les infections débutent dès l’éclosion des bourgeons et se poursuivent jusqu’à la mi-juillet. Les infections nécessitent une période de mouillure minimale de 6 heures à une température variant entre 10 et 21 °C. Les ascospores peuvent infecter les feuilles, les vrilles, les fleurs et les fruits. Les feuilles et les fruits matures sont insensibles à la maladie. Sur les feuilles, les taches sont présentes seulement au printemps et au début de l’été. Elles apparaissent 1 à 2 semaines après l’infection.
Les infections secondaires sont causées par les conidies produites à partir des pycnides présentes sur les fruits momifiés, les jeunes feuilles et les fruits nouvellement infectés. Les conditions climatiques pour les infections secondaires sont identiques à celles requises pour les infections par les ascospores. Les infections se produisent avant la fin juillet et touchent les feuilles, les fleurs et les jeunes fruits.
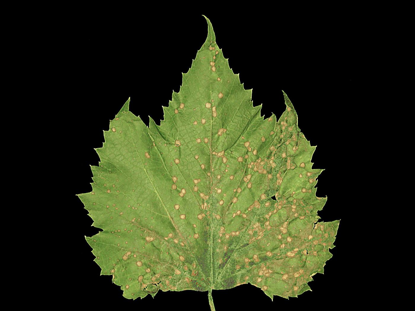
Feuille et pétiole : présence de taches circulaires brun rouille avec une marge foncée. Le diamètre des taches varie entre 2 et 10 mm. Des pycnides noires se développent sur les taches. Elles sont généralement disposées en cercle près de la marge des taches. Les taches présentent sur le pétiole s’élargissent, entourent le pétiole ce qui fait mourir la feuille.
Fruit : au début, présence d’un petit point blanc d’environ 1 mm qui devient rapidement une tache entourée d’un anneau rouge brun. Elle mesure alors 1 cm de diamètre. En quelques jours, les fruits sèchent, ratatinent, deviennent durs et noirs puis se momifient. Les fruits momifiés demeurent généralement attachés à la grappe.
Tige : sur les jeunes tiges, présence de chancres noirs, allongés à elliptiques, de quelques millimètres à quelques centimètres de long. Présence de pycnides brunes à noires. Lorsque les chancres sont nombreux, dépérissement de l’extrémité des tiges.
La pourriture noire est contrôlée essentiellement par la lutte chimique préventive réalisée avec des protectants. La fenêtre de traitements se situe entre le début de la floraison et 3 à 4 semaines après celle-ci. Les vrilles malades et les fruits momifiés tombés au sol ou encore sur les plants doivent être enlevés, tout comme les nouvelles feuilles infectées. Permettre une bonne aération des plants du vignoble. L’utilisation de cultivars résistants est recommandée.
Pearson R. C. & Goheen A. C. (Eds) (1998). Black Rot. Dans Compendium of Grape Diseases. APS Press. The American Phytopathological Society Press, St-Paul, Minnesota. p. 15-17.
http://ohioline.osu.edu/hyg-fact/3000/pdf/HYG_3004_08.pdf
https://ecommons.cornell.edu/bitstream/handle/1813/43076/black-rot-grapes-FS-NYSIPM.pdf?sequence=1&isAllowed=y
http://www.vignevin-sudouest.com/publications/fiches-pratiques/black-rot.php













