Toutes les cucurbitacées sont sensibles à la tache bactérienne (Xanthomonas campestris pv. cucurbitae), particulièrement la citrouille, les courges d’hiver et le concombre. C’est sur les fruits que les symptômes sont les plus caractéristiques. En général, c’est une maladie occasionnelle et mineure, mais depuis quelques années, cette maladie prend du galon chez les cucurbitacées. Les pertes de rendement, au champ et en entrepôt, peuvent être importantes (20 à 50 %).
La bactérie hiverne dans les résidus de culture contaminée et dans la semence. L’infection débute tôt lorsqu’elle est transmise par les semences, affectant les cotylédons en premier. Sur les feuilles, les bactéries pénètrent par les hydatodes, les stomates et les blessures. Sur les fruits, les bactéries entreront via les lenticelles et les piqûres d’insectes. La température optimale pour l’infection se situe entre 25 et 30 °C pour les cucurbitacées. La maladie se dissémine rapidement au contact de l’eau (éclaboussures, pluie, irrigation par aspersion, humidité relative élevée (> 90 %)), mais également par le vent, la machinerie, les travailleurs, les outils et les insectes. Chez les cucurbitacées, la maladie atteint son plein développement à la fin de juillet et au début août.
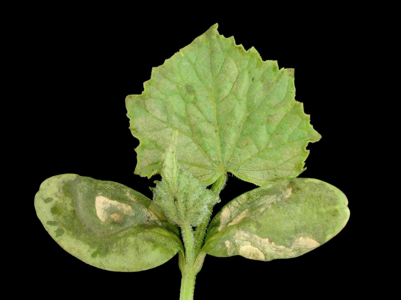
Feuille : sur les plantules, présence de petites taches brunes sur les cotylédons. Sur les vraies feuilles, les premières taches sont petites (2 à 4 mm), jaune diffus et d’aspect humide. En vieillissant elles deviennent jaunes à beiges, rondes à angulaires avec un centre translucide, délimitées par une marge foncée et un large halo jaune (> 7 mm de diamètre). Les taches progressent profondément entre les nervures secondaires pour atteindre la nervure centrale. Parfois elles se regroupent pour former de larges plages d’aspect brûlé souvent à la marge des feuilles.
Fruit : les premières taches sont petites, rondes, légèrement déprimées et beiges avec un halo foncé. En se développant, les fruits affectés se couvrent de larges taches creuses (> 10 mm), beiges et très bien délimitées par une marge foncée.
Ces symptômes peuvent être confondus avec ceux de la tache angulaire (Pseudomonas syringae). Contrairement à celle-ci, les dommages causés par la tache bactérienne ne tombent pas.
Pour limiter le développement de la tache bactérienne, il faut recourir à des semences saines, privilégier les sols chauds et secs, assurer une bonne aération entre les plants, effectuer une rotation des cultures (min 2 ans) avec des plantes non hôtes, détruire les résidus de culture contaminée, éviter les blessures et favoriser une irrigation goutte à goutte (micro-irrigation).
Blancard D., Lecoq H. & Pitrat M. (1991). Xanthomonas campestris pv. cucurbitae. Dans Maladies des Cucurbitacées – Observer, Identifier, Lutter. INRA. p. 202.
Zitter T. A., Hopkins D. L. & Thomas C. E. (Eds) (1996). Bacterial Leaf Spot. Dans Compendium of Cucurbit Diseases. APS Press, The American Phytopathological Society, St-Paul, Minnesota. p. 35.
http://extension.cropsci.illinois.edu/fruitveg/pdfs/949_bacterial_spot.pdf



