La tache bactérienne, causée par Pseudomonas syringae pv. apii, affecte le céleri, le persil et le fenouil (en serre seulement). Les conditions favorables au développement des bactéries sont une température et une humidité élevées. L’eau est essentielle aux bactéries, car elle permet de se multiplier, de se déplacer sur de courtes distances grâce à leurs flagelles et d’entrer dans les tissus par les blessures ou les orifices naturels. C’est une maladie occasionnelle et mineure en champ, mais qui peut être sévère en serre car elle peut affecter la vigueur et la valeur des transplants.
La bactérie hiverne sur les résidus de culture infectée et dans les semences (2 à 3 ans). Elle est disséminée des tissus infectés aux tissus sains par les éclaboussures d’eau, les outils et les travailleurs. Le développement de la maladie est favorisé par des conditions fraîches et humides. L’humidité sur les feuilles doit persister pendant au moins sept heures par jour pendant deux à trois jours. La virulence de la bactérie est optimale à 20 °C. Les symptômes se manifestent 7 à 10 jours après l’infection.
Pseudomonas syringae se multiplie et survit comme une bactérie épiphyte sur les plantules jusqu’à ce que les conditions environnementales soient propices à son développement. Elle entre dans les tissus par les blessures et les stomates. Les symptômes sont plus fréquents sur les transplants qui ont une croissance luxuriante causée par une fertilisation azotée élevée, une humidité élevée et des conditions de croissance chaudes. Chez la production de céleri de semence, la bactérie est épiphyte sur les feuilles et les fleurs. L’irrigation par aspersion et les pluies fréquentes contribuent à la contamination des graines. Les semences peuvent être contaminées même si les plants présentent peu ou pas de symptôme.
En serre, les plants cultivés en plateaux sont taillés deux à trois fois au cours de la production pour obtenir des plants vigoureux et uniformes. Cette taille créée des blessures aux plants et permet la propagation de la bactérie à l’intérieur de la serre lorsque des plants infectés sont présents. Les excès de fertilisant, surtout l’azote, et la croissance luxuriante des plants favorisent également le développement de la bactérie. La mouche du rivage (Scatella stagnalis) aide à disperser la bactérie entre les transplants. Des épidémies peuvent survenir lorsque les conditions suivantes sont réunies : une longue période de mouillure du feuillage, une température et une humidité qui sont optimales pour la croissance bactérienne et des tissus sensibles et succulents. En champ, la maladie sur les transplants cesse de se propager, mais reprend dès que l’irrigation par aspersion est utilisée ou que des pluies fréquentes sont observées.
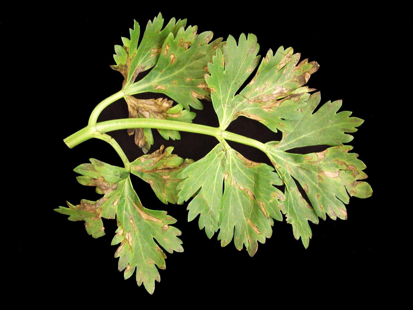
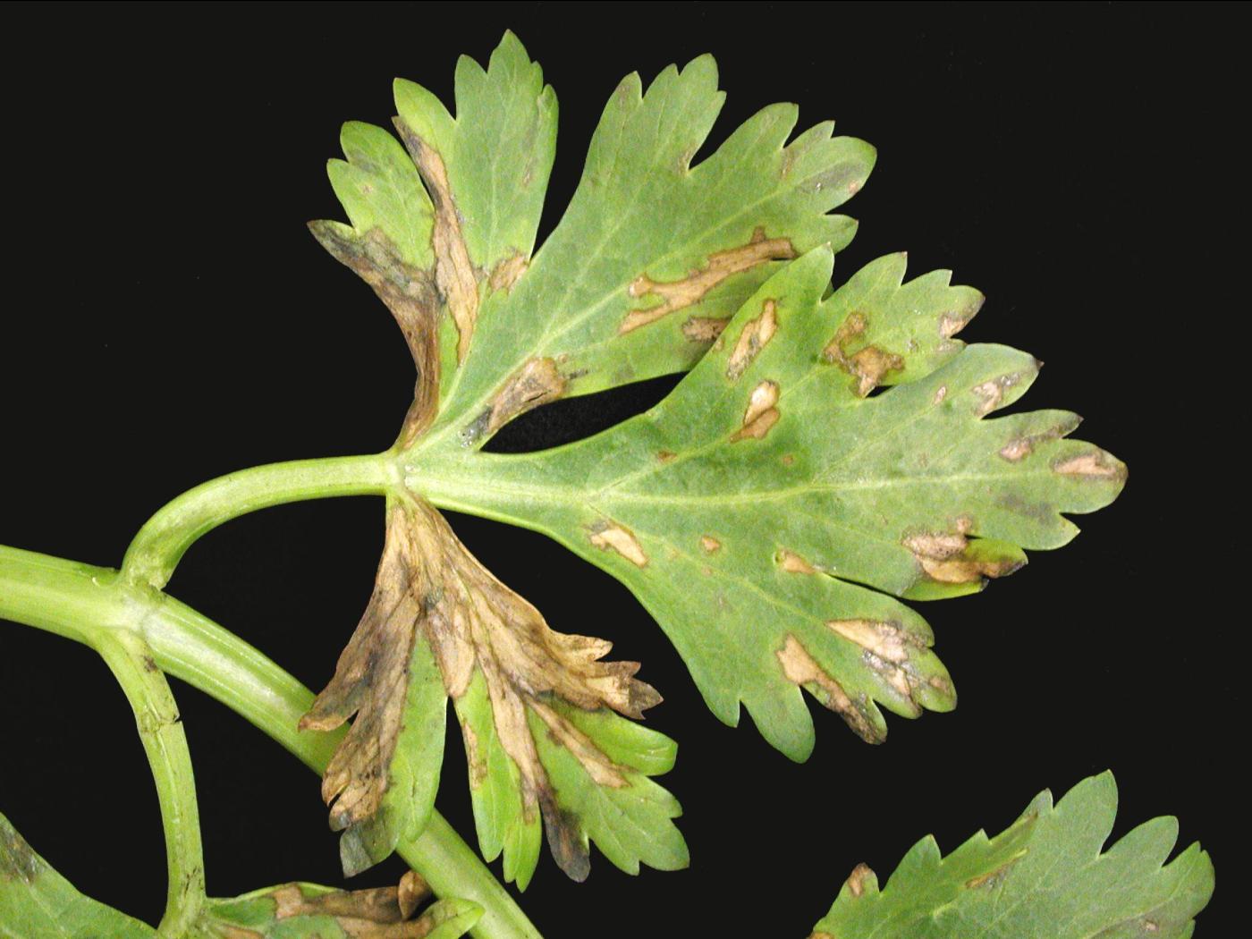
Feuille : au début, présence de petites taches humides jaune vif, circulaires à angulaires lorsqu’elles sont près des nervures, de un à deux millimètres de diamètre. Les taches évoluent, deviennent brun rouille au centre, et sont entourées d’un halo jaune. Lorsque les taches se regroupent, elles forment des lésions d’aspect brûlé. Le feuillage affecté finit par dépérir. Sous des conditions sèches, les lésions deviennent brun pâle et d’une texture diaphane. Les symptômes peuvent se développer très tôt sur les premières vraies feuilles des plantules et continuer d’évoluer sur les nouvelles feuilles avec le développement des plants. Le pétiole n’est pas affecté. Les plants sont rarement tués, mais la croissance peut être ralentie.
La tache bactérienne peut être confondue avec la tache septorienne (Septoria apiicola – présence de pycnides), la cercosporose (Cercospora apii – présence de spores) et la brûlure bactérienne et le brunissement du pétiole (Pseudomonas cichorii – affecte le pétiole et virulence à une température plus élevée soit 30 °C).
On peut diminuer les risques associés à la tache bactérienne par divers moyens tels que l’utilisation de semences saines ou traitées à l’eau chaude et des transplants de qualité. Faire des semis uniformes et éviter les semis denses pour diminuer l’humidité sur les feuilles, dépister régulièrement les transplants dans la serre, dès que les transplants sont prêts, planter au champ dans des sols bien drainés, assurer une fertilisation adéquate et prioriser l’irrigation goutte à goutte. Assurer une bonne circulation d’air entre les plants. Favoriser la rotation des cultures (2 ans) avec des plantes non hôtes. Éliminer les tissus infectés en cours de production, éliminer et enfouir profondément dans le sol les débris végétaux pour accélérer leur décomposition. Le travail au champ doit se faire lorsque le feuillage est sec. Comme la culture du céleri est généralement échelonnée dans le temps, il est important de protéger les plantations tardives contre l'infection qui peut s'être développée dans les parcelles hâtives.
En serre, les risques de transmission de bactéries par contact sont élevés, bien nettoyer et désinfecter les outils, le matériel et les mains des travailleurs, utiliser judicieusement l’irrigation par aspersion, éviter les excès d’azote, de circuler entre les plants et les serres lorsque le feuillage est mouillé.
Davis R. M. & Raid R. N. (Eds) (2002). Bacterial Leaf Spot of Celery. Dans Compendium of Umbelliferous Crop Diseases. APS Press, The American Phytopathological Society, St-Paul, Minnesota. p. 12-13.
Koike, S. T., Gladders P. & Paulus A. O. (2007). Bacterial Leaf Spot of Apiaceae. Dans Vegetable Diseases – A Color Handbook. Academic Press. p. 82-83. (https://books.google.ca/books?id=iPgTGhaGRl4C&lpg=PA82&ots=0nNPeCs42A&dq=pseudomonas%20syringae%20pv.%20apii&hl=fr&pg=PA82#v=onepage&q=pseudomonas%20syringae%20pv.%20apii&f=false)
Richard C. & Boivin G. (1994). Tache bactérienne (Pseudomonas syringae pv. apii) du céleri. Dans Maladies et Ravageurs des Cultures Légumières au Canada. La Société Canadienne de Phytopathologie et la Société d'Entomologie du Canada, Canada. p. 89-90. (http://phytopath.ca/wp-content/uploads/2014/10/MRCLC/ch7-celeri.pdf)
http://www.omafra.gov.on.ca/french/crops/facts/00-094.htm
http://ipm.ucanr.edu/PMG/r112400211.html


