La coulure bactérienne (ou chancre bactérien) est régulièrement observée dans les vergers de cerisiers nains rustiques au Québec. Cette maladie, causée par la bactérie Pseudomonas syringae, affecte de nombreux arbres fruitiers à noyaux : cerisiers, pruniers, pêchers, abricotiers, etc. Sa sévérité varie d’une année à l’autre, selon les conditions climatiques. Les printemps frais et humides sont favorables à la coulure bactérienne, tout comme le sont les gels printaniers qui affectent les fleurs. Dans les vergers en production, les pertes engendrées par P. syringae sont souvent limitées à une diminution des rendements causée par un dépérissement des pousses et des bouquets floraux. Toutefois, lorsque la maladie n’est pas maîtrisée, les cerisiers développent des chancres au niveau des tiges et du tronc, ce qui affecte leur vigueur et leur sensibilité au gel. Dans les jeunes plantations et chez les variétés plus sensibles, comme Crimson Passion et Romeo, la bactérie cause des retards de croissance importants et, parfois, la mort des plants.
Hiver : La bactérie Pseudomonas syringae hiverne à la marge des chancres, dans les bourgeons et dans les feuilles infectées. Elle peut également se loger de manière systémique à l'intérieur des cerisiers sans que ces derniers montrent de symptômes. L’hiver, l’expansion des chancres ralentit.
Printemps : Au printemps, la bactérie se multiplie abondamment durant les périodes prolongées de temps froid et de pluie ou d’humidité relative élevée. Lorsqu’elle est présente dans les bourgeons dormants, elle infecte les fleurs et les feuilles lorsqu’elles émergent, et cause le flétrissement des pousses et la brûlure des fleurs. Les chancres déjà présents reprennent leur expansion si aucune intervention n’est faite.
Été : La bactérie peut causer des taches sur les feuilles et sur les fruits durant les mois d’été. Toutefois, au cours des périodes chaudes et sèches, les populations de bactéries sont à leur plus bas niveau.
Automne : À l’automne, lorsque les températures se rafraîchissent et que l’humidité s’installe, les bactéries se multiplient abondamment dans les tissus infectés. Des masses de bactéries sont dispersées dans l’environnement lors d’épisodes de pluie et de vent. Les bourgeons nouvellement formés sont infectés soit par les écailles, soit par les cicatrices foliaires, c’est-à-dire les lésions laissées par les pétioles lors de la chute des feuilles. La bactérie pénètre aussi les cerisiers par des blessures de taille. La plupart des nouveaux chancres apparaissent à l’automne.
Bourgeon : Absence de débourrement causé par la mort des bourgeons. Ils sont secs, brunis, et présentent parfois de la gommose. D’autres débourrent normalement, mais les pousses qui en émergent au début de l’été flétrissent et se dessèchent, tout comme les fruits.
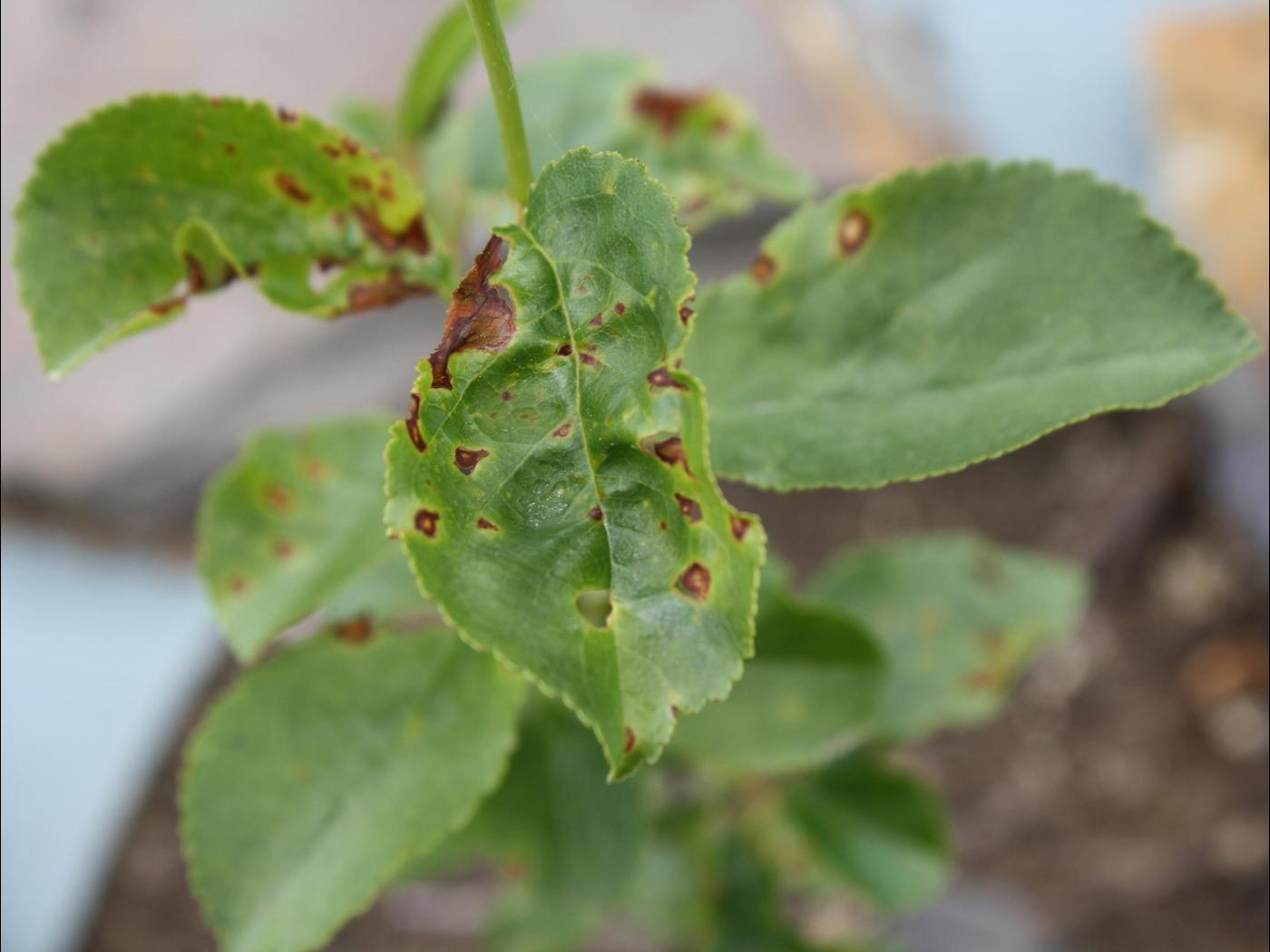
Feuille : Sur les jeunes arbres qui ne fleurissent pas encore, les taches sur les feuilles sont généralement le premier symptôme observé. De petites lésions brunes entourées d’un halo jaune apparaissent et se regroupent pour former de plus larges zones nécrosées. Les taches se détachent et tombent, laissant des trous dans les feuilles. Sur les jeunes arbres qui ont une croissance active, les feuilles prennent souvent un aspect fripé. En revanche, sur les arbres matures, les feuilles ne présentent généralement pas de symptômes.
Fleur : Les nouvelles pousses et les fleurs infectées flétrissent, pâlissent et finissent par brunir. Les bouquets floraux restent accrochés à la tige. Ce symptôme est facile à observer au printemps, peu après la floraison.
Fruit : Petites lésions brunes et sèches à la marge bien définie. Les zones affectées sont légèrement déprimées.
Tige : Les chancres sont le symptôme le plus caractéristique de la maladie. Ils peuvent se développer sur les tiges, à la base des bourgeons, près des plaies causées par la taille ou à la base des rameaux infectés. Les chancres causés par P. syringae forment une zone brun foncé ou noire sur l’écorce, qui parfois se fendille. La couleur des tissus internes varie d’orangé à brunâtre, et des stries s’étendent jusque dans les tissus sains, au-dessus et au-dessous du chancre.
Les chancres qui se forment sur les branches charpentières et sur le tronc sont généralement associés à la présence de gommose, un exsudat collant qui suinte de l’écorce au printemps. Certains peuvent s’agrandir de façon importante, ceinturer les branches et le tronc, et causer le dépérissement de l’arbuste. Les cerisiers qui cumulent plusieurs chancres dépérissent rapidement.
La présence de trous dans les feuilles peut prêter à confusion avec la brûlure corynéenne (ou criblure du cerisier), causée par le champignon Wilsonomyces carpophilus. Bien que cette maladie soit peu répandue au Québec, il est recommandé de faire appel à un laboratoire spécialisé pour identifier correctement l'agent pathogène en cause.
Au printemps, lorsque les bouquets floraux brunissent et que des nécroses apparaissent progressivement sur les tiges, les symptômes de la coulure bactérienne peuvent être confondus avec ceux provoqués par une infection fongique précoce par Monilinia sp., l’agent responsable de la pourriture brune. Généralement, la pourriture brune apparaît plus tard dans la saison que la coulure bactérienne, et souvent, un duvet brun grisâtre se développe à la surface des fleurs et des tiges infectées. Ce n’est pas le cas pour les infections à Pseudomonas syringae.
Diverses pratiques préventives sont recommandées pour freiner la maladie. Par exemple, il est recommandé d’effectuer la taille de formation au début du printemps, avant le débourrement, lorsque le temps est sec et que la température se situe près du point de congélation ou légèrement au-dessus. Toutefois, il n’existe pas de consensus absolu. Selon certaines références, la maladie serait moins présente dans les vergers où les cerisiers sont taillés immédiatement après la récolte. On s’abstient également de tailler les cerisiers à l’automne ou après le débourrement au printemps, lorsque la bactérie est très active. Pour aider à diminuer l’inoculum de la bactérie, il est possible durant l'été d'enlever toutes les branches mortes et les tiges flétries en taillant dans le bois sain. Il faut retirer les branches et arbres morts du verger et les détruire.
AGRIOS G. N. (1988) Plant Pathology, 3e édition, Academic Press inc., 803 p.
CAZORLA F. M. et collab. (2007). Pseudomonas syringae Diseases of Fruit Trees: Progress Toward Understanding and Control, The American Phytopathological Society: Plant Disease, vol. 91, no 1.
COWGILL W. (2012). Spray Cherry Trees for Bacterial Canker, State University of New Jersey: Fruit Ag Update
LEHNERT R. (2013). Bacterial Canker: Freezes Last Spring Set Stage for Epidemic of the Disease in Cherry Orchards, Good Fruit Grower
MOORE L. W. & Pscheidt J. W. (2017) Diseases Caused by Pseudomonas syringae, Pacific Northwest Plant Disease Management Handbook
OGAWA J. M. & autres. (1995) Compendium of Stone Fruit Diseases, St-Paul, APS Press, 98 p.
OMAFRA : Chancre bactérien du cerisier doux
RENICK L. J., COGAL A. G. & SUNDIN G. W. (2008). Phenotypic and Genetic Analysis of Epiphytic Pseudomonas syringae Populations from Sweet Cherry in Michigan, The American Phytopathological Society: Plant Disease, vol. 92, no 3.
SPOTTS R. A. et collab. (2010). Bacterial Canker of Sweet Cherry in Oregon – Disease Symptoms, Cycle, and Management, Oregon State University, EM 9007.
SPOTTS R. A. & autres. (2010). Bacterial Canker of Sweet Cherry in Oregon – Infection of Horticultural and Natural Wounds, and Resistance of Cultivar and Roostock Combinations, The American Phytopathological Society: Plant Disease, vol. 94, no 3, p. 345-350







