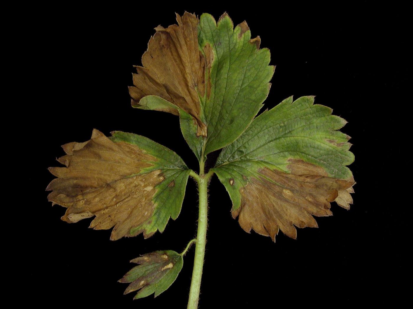
Description: La feuille de fraisier présente des brûlures brunes, d'une apparence sèche débutant à la marge ou près de l'apex et progressant par la suite entre les nervures. Une légère bordure jaune se situe à la base de la brûlure. Les brûlures couvrent en moyenne 25 à 30 % de la surface du limbe. La moelle des collets est entièrement brune, le système vasculaire est blanc et les racines sont blanches (non visible ici). Les tests de laboratoire se sont avérés négatifs pour la détection des champignons. La c… En savoir plus
Crédit photo: Laboratoire d'expertise et de diagnostic en phytoprotection - MAPAQ
Légende: Brûlure sur feuille de fraisier
Description: La feuille de fraisier présente des brûlures brunes, d'une apparence sèche débutant à la marge ou près de l'apex et progressant par la suite entre les nervures. Une légère bordure jaune se situe à la base de la brûlure. Les brûlures couvrent en moyenne 25 à 30 % de la surface du limbe. La moelle des collets est entièrement brune, le système vasculaire est blanc et les racines sont blanches (non visible ici). Les tests de laboratoire se sont avérés négatifs pour la détection des champignons. La c… En savoir plus
Crédit photo: Laboratoire d'expertise et de diagnostic en phytoprotection - MAPAQ
Légende: Brûlures sur feuille de fraisier
Description: Le collet de ce fraisier (cv 'Kent') a été sectionné en deux longitudinalement pour montrer la coloration brune de la moelle dans sa partie basale (voir flèche). Les plants reçus sont minuscules et le feuillage est peu développé pour la période de l’année (juin). Les racines sont noires, peu abondantes et raides. Ces plants ont subi du gel hivernal léger.
Crédit photo: Laboratoire d'expertise et de diagnostic en phytoprotection - MAPAQ
Légende: Brunissement de la moelle du collet d'un fraisier
Description: Le collet des fraisiers (cv 'Monterey') montre une moelle brune dans sa partie basale. Le système vasculaire est sans symptôme tout comme le feuillage. Les tests de laboratoire se sont avérés négatifs pour la détection des champignons, particulièrement pour Phytophthora dans le collet et les racines. Il est plausible de croire que ces plants ont subi du gel hivernal léger.   La conseillère agricole mentionne que les plants sont capables de produire des fruits, mais qu’ils cassent au niveau du so… En savoir plus
Crédit photo: Laboratoire d'expertise et de diagnostic en phytoprotection - MAPAQ
Légende: Brunissement de la moelle du collet des fraisiers
Description: Le collet des fraisiers (cv 'Monterey') montre une moelle brune dans sa partie basale. Le système vasculaire est sans symptôme tout comme le feuillage. Les tests de laboratoire se sont avérés négatifs pour la détection des champignons, particulièrement pour Phytophthora dans le collet et les racines. Il est plausible de croire que ces plants ont subi du gel hivernal léger.   La conseillère agricole mentionne que les plants sont capables de produire des fruits, mais qu’ils cassent au niveau du so… En savoir plus
Crédit photo: Laboratoire d'expertise et de diagnostic en phytoprotection - MAPAQ
Légende: Brunissement de la moelle du collet des fraisiers
Description: Le collet de ce fraisier (cv 'Monterey') montre une moelle brune dans sa partie basale. Le système vasculaire est sans symptôme tout comme le feuillage. Les tests de laboratoire se sont avérés négatifs pour la détection des champignons, particulièrement pour Phytophthora dans le collet et les racines. Il est plausible de croire que ce plant a subi du gel hivernal léger.   La conseillère agricole mentionne que les plants sont capables de produire des fruits, mais qu’ils cassent au niveau du sol l… En savoir plus
Crédit photo: Laboratoire d'expertise et de diagnostic en phytoprotection - MAPAQ
Légende: Brunissement de la moelle du collet du fraisier
Description: À l’intérieur du collet de ce fraisier (cv 'Jewel'), on observe un rougissement et un brunissement intense dans les tissus internes. Puisque les tests de laboratoire n’ont détecté aucun agent pathogène causant ce type de symptôme, il est probable que ce plant ait subi du gel hivernal. 
Crédit photo: Laboratoire d'expertise et de diagnostic en phytoprotection - MAPAQ
Légende: Rougissement et brunissement des tissus internes du collet. 
Fraise - Gel hivernal
Fraise - Gel hivernal
Fraise - Gel hivernal
Fraise - Gel hivernal
Fraise - Gel hivernal
Fraise - Gel hivernal
Fraise - Gel hivernal
Description

Les dommages de gel hivernal sont observés lorsque des cristaux de glace se forment dans la moelle du collet. Le système vasculaire est moins sensible au dommage par le froid et s’il n’est pas détruit, le plant peut se rétablir presque normalement. Les dommages de gel hivernal sont évalués en coupant les collets de façon longitudinale. L’intensité des dommages varie selon le degré de brunissement de la moelle (tissus internes) du collet. Un collet sain a une moelle blanche à légèrement jaunâtre. Les observations doivent se faire rapidement, car les tissus coupés s’oxydent rapidement à l’air et brunissent.
 
Lors d’un gel hivernal léger, les plants auront une croissance végétative presque normale, mais les symptômes se manifesteront lors de la mise à fruit qui requiert plus d’énergie. Cependant, lors d’un gel hivernal sévère, la moelle du collet peut être entièrement brun foncé à noire et le plant ne débourrera pas. Le gel hivernal est occasionnel, mais peut être sévère. Des pertes de vigueur, de rendement et de résistance face aux agents pathogènes sont observées sur les plants qui ont subi un gel hivernal. Au champ, les plants sont distribués de façon localisée et éparse.

Symptômes et dommages

Feuille : plus petites, moins nombreuses et avec différentes anomalies de coloration (jaunissement, rougissement, brunissement). Dessèchement possible.
 
Fleur : moins de fleurs sur les plants affaiblis.
 
Fruit : d’un petit calibre.
 
Collet : brunissement partiel ou entier du système vasculaire et de la moelle.
 
Racine : faible croissance et racines brunes.
 
Plant : aucun débourrement ou faible croissance. Les plants affaiblis sont plus sensibles aux maladies.

Ne pas confondre

Le gel hivernal peut être confondu avec des dommages de stèle rouge (Phytophthora fragariae – aucun brunissement du collet, mais plutôt une stèle rouge des racines), le pourridié phytophthoréen (Phytophthora cactorum – racines abondantes, généralement brunissement dans la partie supérieure du collet), la pourriture noire des racines (complexe fongique – racines noires, collet sans symptôme) et le flétrissement verticillien (Verticillium spp. – flétrissement et dépérissement des vieilles feuilles, collet généralement sain, mais parfois brunissement du système vasculaire).

Prévention

Pour prévenir le gel hivernal dans les fraisières il faut pailler les plants lorsqu’ils sont dormants, mais avant le froid, favoriser toute action qui permet une accumulation de la neige sur les plants (brise-vent, clôtures, couvertures flottantes), un bon drainage du sol et favoriser le bon développement des fraisiers tout le long de la saison.

Références et liens

Bolduc R. & Paquin R. (1987). Comparaison de deux méthodes d'évaluation de la tolérance au gel du fraisier prélevé dans un sol gelé. Can. J. Plant Sci. 67(1): 343-348.

Lambert, L. 2007. Gel hivernal. Dans Guide des carences, désordres et problèmes de phytotoxicité du fraisier, du framboisier et du bleuetier. CRAAQ (Centre de référence en agriculture et agroalimentaire du Québec). p. 48-51.

Maas, J. L. (Eds) (1998). Winter Injury. Dans Compendium of Strawberry Diseases. 2e éd. APS Press. The American Phytopathological Society Press, St-Paul, Minnesota. p. 9.