Aller au contenu principal
Accueil
Toggle menu
Me connecter
  • Accueil
  • Rechercher
    • Symptômes et dommages sur les plantes
    • Culture
    • Insectes et autres invertébrés
    • Mauvaises herbes et autres plantes
    • Virus et viroïdes
    • Champignons
    • Nématodes
    • Bactéries et phytoplasmes
  • Identifier
  • Glossaire
  • Galerie d'images

Galerie d'images

  1. Accueil
  2. Galerie d'images
Bleuet en corymbe - Grêle
Bleuet en corymbe - Grêle

Bleuet en corymbe - Grêle

Affaissement de l'épiderme des fruits verts de bleuets en corymbe à la suite d’un épisode de grêle. L’épiderme est déprimé, parfois fendu, et bleuit prématurément. Les symptôm...
Image Contenu lié à l’Image

Bleuet en corymbe - Hendecaneura shawiana

Trois apex de tiges de framboisiers présentant des dégâts causés par des larves d'Hendecaneura shawiana. Celle-ci creuse une galerie mesurant de 20 à 25 cm de l'apex vers la...
Image Contenu lié à l’Image

Bleuet en corymbe - Hendecaneura shawiana

Portion d'une tige de bleuetier présentant des dégâts causés par la larve d'Hendecaneura shawiana. Celle-ci creuse une galerie mesurant de 20 à 25 cm de l'apex vers la base ...
Image Contenu lié à l’Image
Bleuet en corymbe - Insolation (coup de soleil)
Bleuet en corymbe - Insolation (coup de soleil)

Bleuet en corymbe - Insolation (coup de soleil)

Les bleuets en corymbe montrent une dépression ou un affaissement situé sur un côté ou le dessus de certains fruits. Les fruits sont ramollis et la chair est rouge, comme si l...
Image Contenu lié à l’Image
Bleuet en corymbe - Manque d'eau et sécheresse_1
Bleuet en corymbe - Manque d'eau et sécheresse_1

Bleuet en corymbe - Manque d'eau et sécheresse

à rédiger ...
Image Contenu lié à l’Image
Bleuet en corymbe - Manque d'eau et sécheresse_2
Bleuet en corymbe - Manque d'eau et sécheresse_2

Bleuet en corymbe - Manque d'eau et sécheresse

à rédiger ...
Image Contenu lié à l’Image
Bleuet en corymbe - Moisissure grise (Botrytis cinerea)Bleuet en corymbe - Moisissure grise (Botrytis cinerea)
Bleuet en corymbe - Moisissure grise (Botrytis cinerea)Bleuet en corymbe - Moisissure grise (Botrytis cinerea)

Bleuet en corymbe - Moisissure grise

Le fruit de ce bleuetier en corymbe est entièrement pourri ; les tissus externes sont affaissés et ratatinés. Le fruit est recouvert d’un mycélium grisâtre et l’on aperçoit de...
Image Contenu lié à l’Image
Bleuet en corymbe - Moisissure grise (Botrytis cinerea)
Bleuet en corymbe - Moisissure grise (Botrytis cinerea)

Bleuet en corymbe - Moisissure grise

Sur les fruits verts de bleuetier en corymbe, on observe une pourriture qui commence par une décoloration brune ou mauve d’aspect humide près de l’extrémité du calice. La pour...
Image Contenu lié à l’Image
Bleuet en corymbe - Moisissure grise (Botrytis cinerea)
Bleuet en corymbe - Moisissure grise (Botrytis cinerea)

Bleuet en corymbe - Moisissure grise

Sur ce fruit vert de bleuetier en corymbe, on observe une pourriture qui commence par une décoloration brune ou mauve près de l’extrémité du calice. Les tissus sont aussi affa...
Image Contenu lié à l’Image
Bleuet en corymbe - Moisissure grise (Botrytis cinerea)
Bleuet en corymbe - Moisissure grise (Botrytis cinerea)

Bleuet en corymbe - Moisissure grise

Sur une tige de bleuet en corymbe, présence de brûlures humides des feuilles et des fleurs. L’extrémité de la tige présente également des zones de chancres brunâtres. Les test...
Image Contenu lié à l’Image
Bleuet en corymbe - Moisissure grise (Botrytis cinerea)
Bleuet en corymbe - Moisissure grise (Botrytis cinerea)

Bleuet en corymbe - Moisissure grise

Sur des bleuets en corymbe (cv 'Patriot') provenant d’un champ, les fruits sont mous et l’épiderme présentant des zones rosées à violacées, parfois presque translucides, lorsq...
Image Contenu lié à l’Image

Bleuet en corymbe - Oiseau

Sur des bleuets en corymbe, présence de blessures d’une forme angulaire sur l’épiderme et dans la chair. Ces dégâts sont causés par des oiseaux. ...
Image Contenu lié à l’Image

Bleuet en corymbe - Petit carpocapse de la pomme

Bleuet présentant un trou en surface qui se prolonge en galerie dans la chair. Des excréments sont visibles. Plusieurs espèces sont susceptibles de causer ce type de dommages,...
Image Contenu lié à l’Image

Bleuet en corymbe - Petit carpocapse de la pomme

Un bleuet présentant un trou en surface qui se prolonge en galerie dans la chair. Des excréments sont aussi observables. Plusieurs espèces sont susceptibles de causer ce type ...
Image Contenu lié à l’Image

Bleuet en corymbe - Petit carpocapse de la pomme

Un bleuet présentant un trou en surface qui se prolonge en galerie dans la chair. Plusieurs espèces sont susceptibles de causer ce type de dommages, notamment les tordeuses Gr...
Image Contenu lié à l’Image
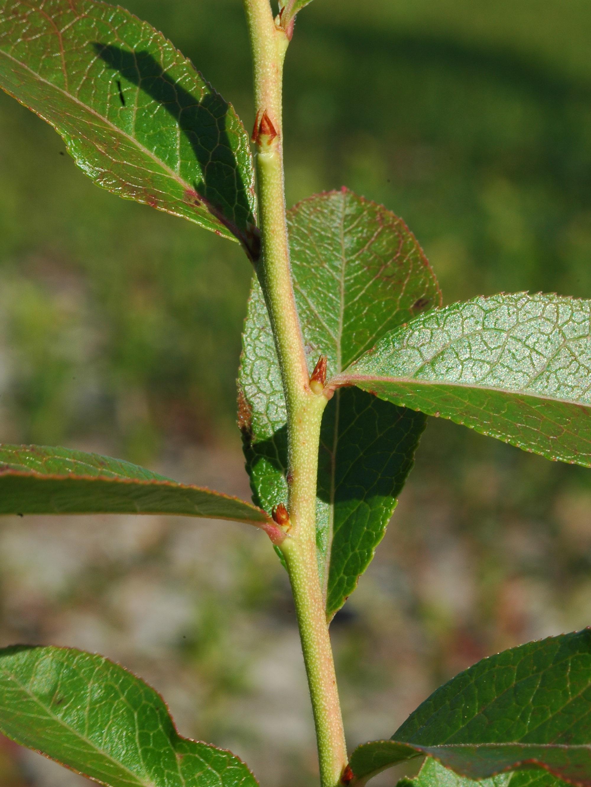
Bleuet en corymbe - Phytoplasme du flétrissement du bleuet
Bleuet en corymbe - Phytoplasme du flétrissement du bleuet

Bleuet en corymbe - Phytoplasme du flétrissement du bleuet

Sur ces tiges de bleuetier en corymbe, on observe une coloration rouge ou jaune à la marge de certaines feuilles. Quelques brûlures marginales sont aussi observables. Plusieur...
Image Contenu lié à l’Image
Bleuet en corymbe - Phytoplasme du flétrissement du bleuet
Bleuet en corymbe - Phytoplasme du flétrissement du bleuet

Bleuet en corymbe - Phytoplasme du flétrissement du bleuet

Une vue rapprochée d’un bleuetier en corymbe montre quelques tiges portant des feuilles disposées en rosette dont le limbe est orange à rose. Les entrenoeuds sont courts. La v...
Image Contenu lié à l’Image
Bleuet en corymbe - Phytoplasme du flétrissement du bleuet
Bleuet en corymbe - Phytoplasme du flétrissement du bleuet

Bleuet en corymbe - Phytoplasme du flétrissement du bleuet

Sur ce bleuetier en corymbe, quelques tiges portent des feuilles dont la marge est jaunie et le limbe est courbé vers le bas, en forme de cuillère. Les entrenoeuds sont courts...
Image Contenu lié à l’Image
Bleuet en corymbe - Phytoplasme du flétrissement du bleuet
Bleuet en corymbe - Phytoplasme du flétrissement du bleuet

Bleuet en corymbe - Phytoplasme du flétrissement du bleuet

Sur ce bleuetier en corymbe, quelques tiges portent des feuilles dont la marge est jaunie et le limbe est courbé vers le bas, en forme de cuillère. Les entrenoeuds sont courts...
Image Contenu lié à l’Image
Bleuet en corymbe - Phytoplasme du flétrissement du bleuet
Bleuet en corymbe - Phytoplasme du flétrissement du bleuet

Bleuet en corymbe - Phytoplasme du flétrissement du bleuet

Sur ce bleuetier en corymbe, quelques tiges portent des feuilles disposées en rosette dont le limbe est jaune. Les entrenoeuds sont également courts. La vigueur du plant est m...
Image Contenu lié à l’Image
Bleuet en corymbe - Phytoplasme du flétrissement du bleuet
Bleuet en corymbe - Phytoplasme du flétrissement du bleuet

Bleuet en corymbe - Phytoplasme du flétrissement du bleuet

Sur ce bleuetier en corymbe, quelques tiges portent des feuilles disposées en rosette dont le limbe est orange à rose. Il y a absence de feuilles dans la partie basale et à l’...
Image Contenu lié à l’Image
Bleuet en corymbe - Pourriture sclérotique (Monilinia vaccinii-corymbosi)
Bleuet en corymbe - Pourriture sclérotique (Monilinia vaccinii-corymbosi)

Bleuet en corymbe - Pourriture sclérotique

Sur deux tiges de bleuet en corymbe, présence d’un brunissement ou d’une brûlure souple des jeunes feuilles. Le brunissement prend la forme d’un « V » le long des nervures (vo...
Image Contenu lié à l’Image
Bleuet en corymbe - Pourriture sclérotique (Monilinia vaccinii-corymbosi)
Bleuet en corymbe - Pourriture sclérotique (Monilinia vaccinii-corymbosi)

Bleuet en corymbe - Pourriture sclérotique

Sur cette tige de bleuet en corymbe (cv 'Patriot'), la majorité des feuilles sont sans symptôme à l'exception de quelques-unes qui sont pourpres à brunes. L’extrémité de la ti...
Image Contenu lié à l’Image
Bleuet en corymbe - Pourriture sclérotique (Monilinia vaccinii-corymbosi)
Bleuet en corymbe - Pourriture sclérotique (Monilinia vaccinii-corymbosi)

Bleuet en corymbe - Pourriture sclérotique

L’extrémité d’une tige de bleuet en corymbe montre un brunissement ou une brûlure souple des jeunes feuilles. Le brunissement prend la forme d’un « V » le long des nervures (p...
Image Contenu lié à l’Image
Bleuet en corymbe - Pourriture sclérotique (Monilinia vaccinii-corymbosi)
Bleuet en corymbe - Pourriture sclérotique (Monilinia vaccinii-corymbosi)

Bleuet en corymbe - Pourriture sclérotique

Sur une tige de bleuet en corymbe, présence d’un brunissement ou d’une brûlure souple des grappes de fleurs. Les fleurs demeurent attachées à la tige. L’extrémité de la tige m...
Image Contenu lié à l’Image
Bleuet en corymbe - Pourriture sclérotique (Monilinia vaccinii-corymbosi)
Bleuet en corymbe - Pourriture sclérotique (Monilinia vaccinii-corymbosi)

Bleuet en corymbe - Pourriture sclérotique

Sur une feuille de bleuet en corymbe, présence d’un brunissement ou d’une brûlure souple du limbe. Le brunissement prend la forme d’un « V » le long des nervures. Les tests de...
Image Contenu lié à l’Image
Bleuet en corymbe - Pourriture sclérotique (Monilinia vaccinii-corymbosi)
Bleuet en corymbe - Pourriture sclérotique (Monilinia vaccinii-corymbosi)

Bleuet en corymbe - Pourriture sclérotique

Sur des plants de bleuet en corymbe, le développement des fruits se fait normalement, mais à l’approche de la maturité, ils prennent différentes teintes (rougeâtre, brunâtre, ...
Image Contenu lié à l’Image
Bleuet en corymbe - Pourriture sclérotique (Monilinia vaccinii-corymbosi)
Bleuet en corymbe - Pourriture sclérotique (Monilinia vaccinii-corymbosi)

Bleuet en corymbe - Pourriture sclérotique

Sur deux tiges de bleuets en corymbe, présence d’un brunissement ou d’une brûlure souple des jeunes feuilles et des grappes de fleurs. Les feuilles et les fleurs demeurent att...
Image Contenu lié à l’Image
Bleuet en corymbe - Pourriture sclérotique (Monilinia vaccinii-corymbosi)
Bleuet en corymbe - Pourriture sclérotique (Monilinia vaccinii-corymbosi)

Bleuet en corymbe - Pourriture sclérotique

Sur des plants de bleuet en corymbe, le développement des fruits se fait normalement, mais à l’approche de la maturité, ils prennent différentes teintes (rougeâtre, brunâtre, ...
Image Contenu lié à l’Image
Bleuet en corymbe - Pourriture sclérotique (Monilinia vaccinii-corymbosi)
Bleuet en corymbe - Pourriture sclérotique (Monilinia vaccinii-corymbosi)

Bleuet en corymbe - Pourriture sclérotique

Sur ces tiges de bleuet en corymbe, la majorité des feuilles sont sans symptôme à l'exception de quelques-unes qui sont complètement desséchées. La tige du bas est brune et sè...
Image Contenu lié à l’Image
Bleuet en corymbe - Pourriture sclérotique (Monilinia vaccinii-corymbosi)
Bleuet en corymbe - Pourriture sclérotique (Monilinia vaccinii-corymbosi)

Bleuet en corymbe - Pourriture sclérotique

Sur des plants de bleuet en corymbe, le développement des fruits se fait normalement, mais à l’approche de la maturité, ils prennent différentes teintes (rougeâtre, brunâtre, ...
Image Contenu lié à l’Image

Bleuet en corymbe - Pseudanthonomus seriesetosus

Bleuet vert présentant des dommages causés par l'espèce Pseudanthonomus seriesetosus (un adulte visible sur la photo). Le grignotement du fruit par les adultes entraîne l'ap...
Image Contenu lié à l’Image
  • Afficher plus
Logo IRIIS
L’outil IRIIS est enrichi par le MAPAQ
et ses collaborateurs
Liens 

 À propos
 Fournir des images
 Crédits photo
 Glossaire
 Conditions d'utilisation
 Admin

Contact 

Téléphone : 418 523-5411
Sans frais : 1 888 535-2537
Télécopieur : 418 644-5944
Courriel : iriisphytoprotection@craaq.qc.ca

Adresse 

Édifice Delta 1
2875, boulevard Laurier, 9e étage

Québec (Québec) G1V 2M2
Canada

Propulsé par craaq

Ce site est optimisé pour Mozilla Firefox et Google Chrome

© CRAAQ, 2023 Tous droits réservés

       
sfy39587stp18
Drupal 9 Appliance - Powered by TurnKey Linux