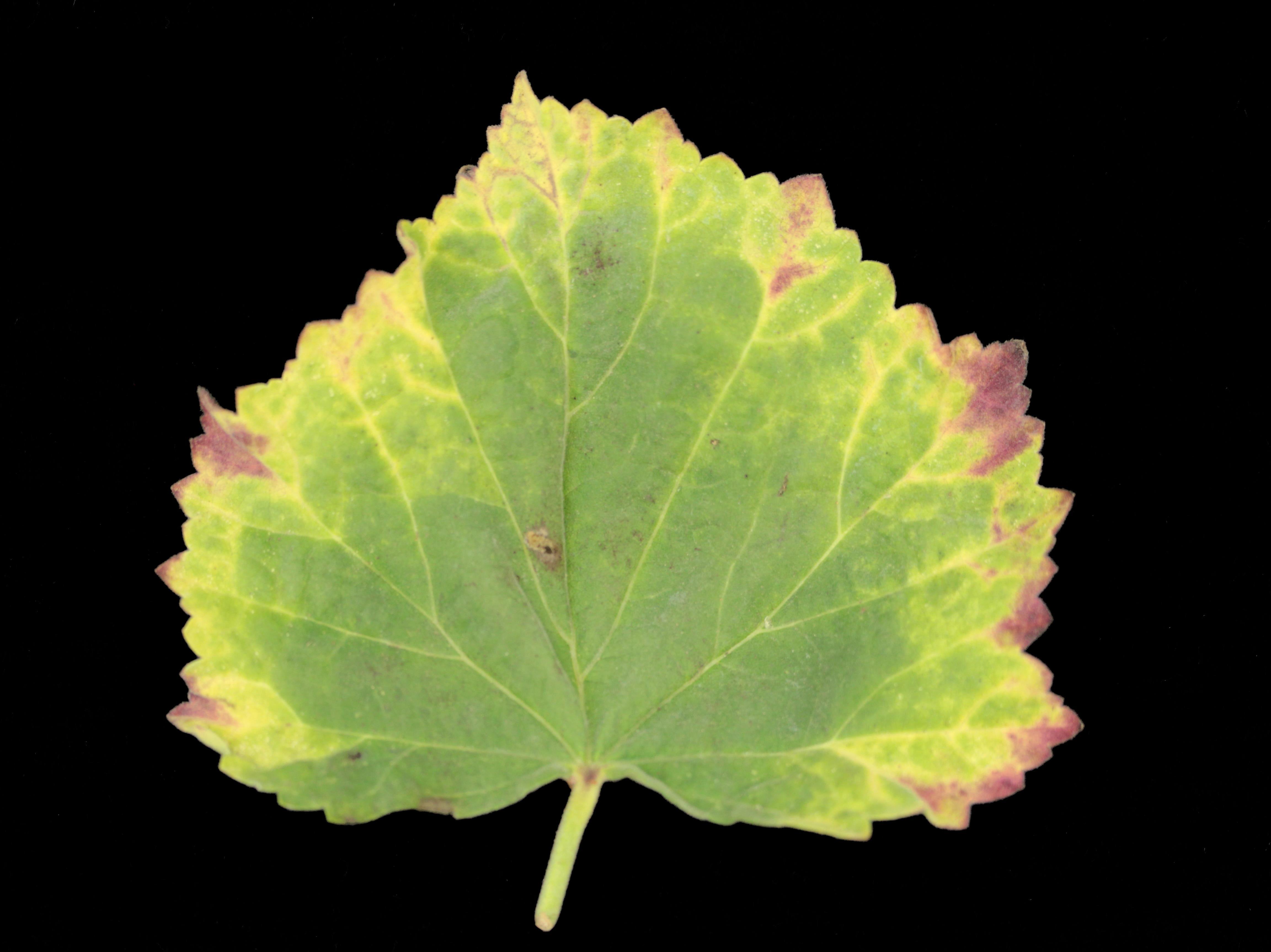
Description: Une feuille de guimauve officinale (mauve blanche) montre un jaunissement et du rougissement à la marge. Tous les niveaux de feuilles sont affectés. Les tests de laboratoire ont révélé la présence de phytoplasme dans les feuilles. Il s’agit probablement du phytoplasme de la jaunisse de l’aster.
La conseillère agricole mentionne que des cicadelles ont été observées dans le champ toute la saison. Cette culture est en production biologique et environ 80 % des plants sont affectés. Les symptômes sont apparus graduellement.
Crédit photo: Laboratoire d'expertise et de diagnostic en phytoprotection - MAPAQ
Légende: Anomalies de coloration sur feuilles de guimauve officinale
