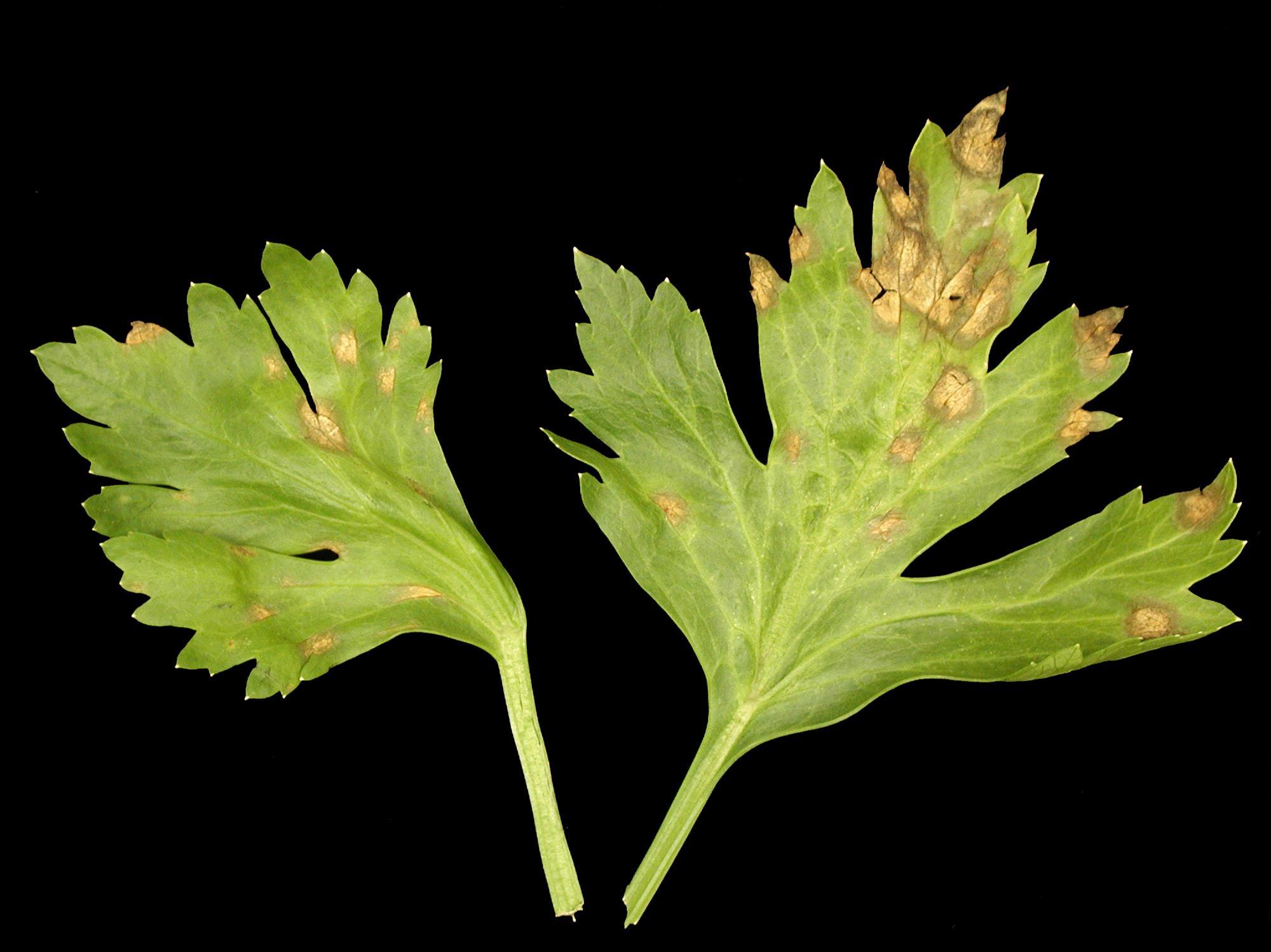
Description: Des folioles de céleri montrent des taches irrégulières beiges avec une marge légèrement plus foncée. Ces taches ont une dimension moyenne de 3 à 4 mm. En se développant, les taches se regroupent pour former de larges brûlures. Un léger halo peut border les taches. Les observations microscopiques ont révélé la présence du champignon Cercospora apii, responsable de la cercosporose chez le céleri. Les plants affectés sont distribués en foyer.
Crédit photo: Laboratoire d'expertise et de diagnostic en phytoprotection - MAPAQ
Légende: Taches sur folioles de céleri
