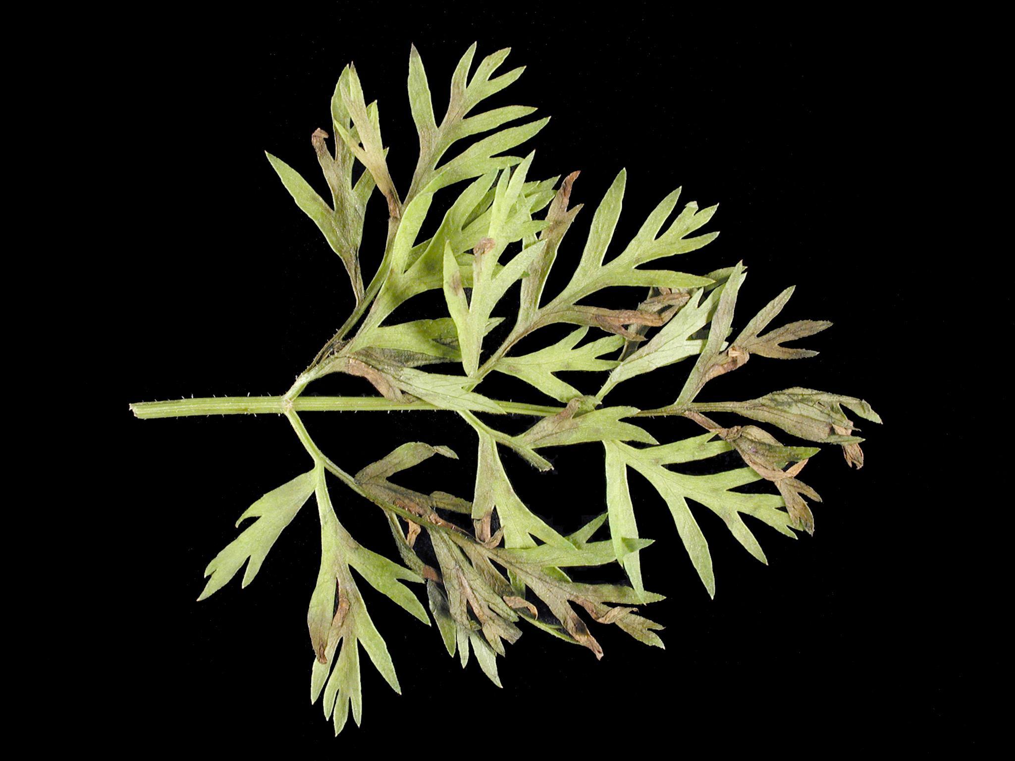
Description: Les feuilles de carotte présentent des brûlures irrégulières ayant une coloration uniforme brune et une apparence sèche. La dimension des brûlures varie entre 5 et 7 mm. Elles sont réparties à la marge et à l’apex. Les observations microscopiques ont révélé la présence du champignon Cercospora carotae, responsable de la brûlure cercosporéenne.
Crédit photo: Laboratoire d'expertise et de diagnostic en phytoprotection - MAPAQ
Légende: Brûlures sur feuilles de carotte
