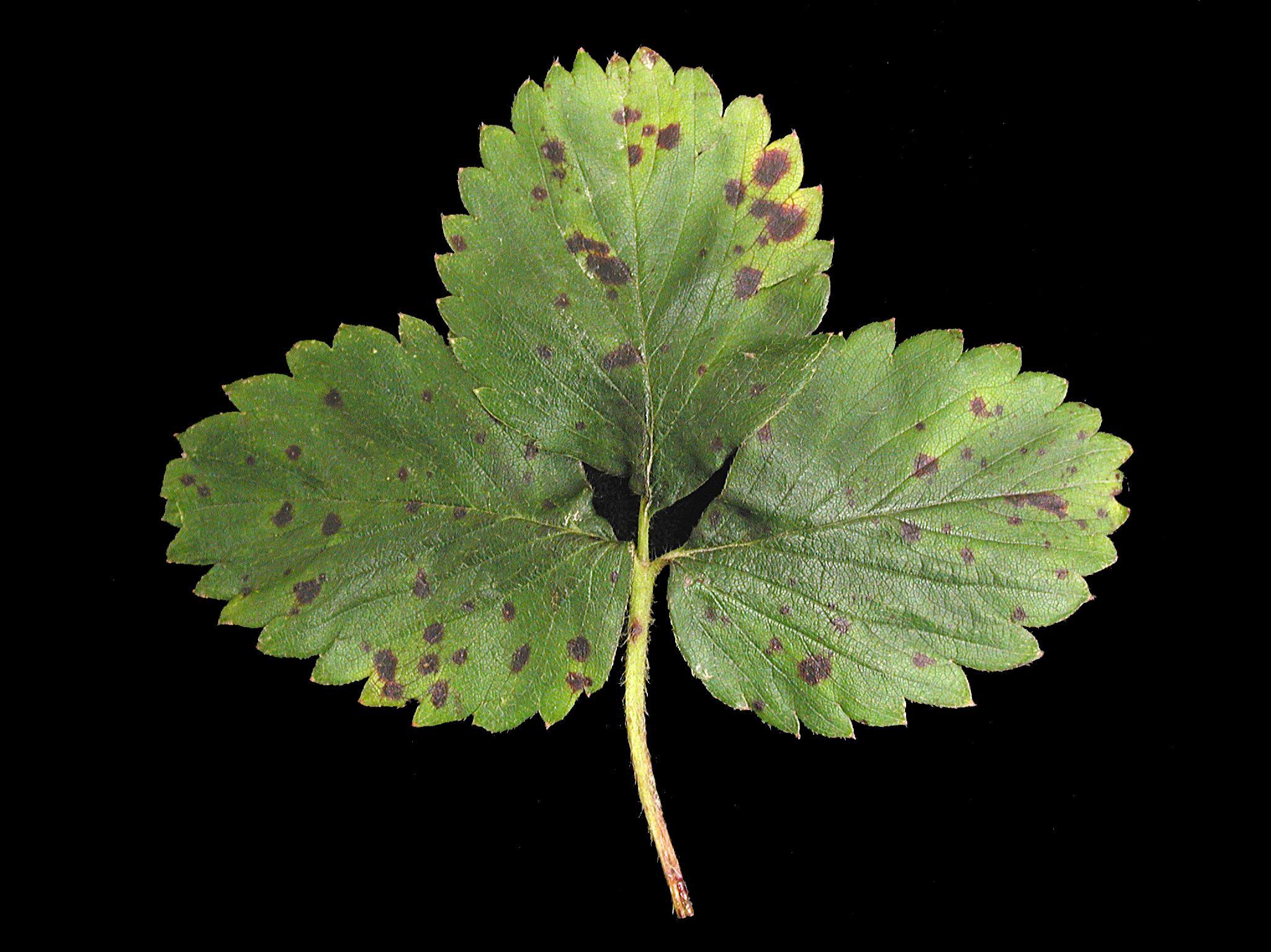
Description: À la face supérieure des folioles de fraisier, présence de taches irrégulières complètement pourpres. Les taches sont réparties aléatoirement sur le limbe. Les tests de laboratoire ont révélé la présence du champignon Diplocarpon earlianum, responsable de la tache pourpre chez le fraisier.
Crédit photo: Laboratoire d'expertise et de diagnostic en phytoprotection - MAPAQ
Légende: Taches pourpres sur feuille de fraisier
