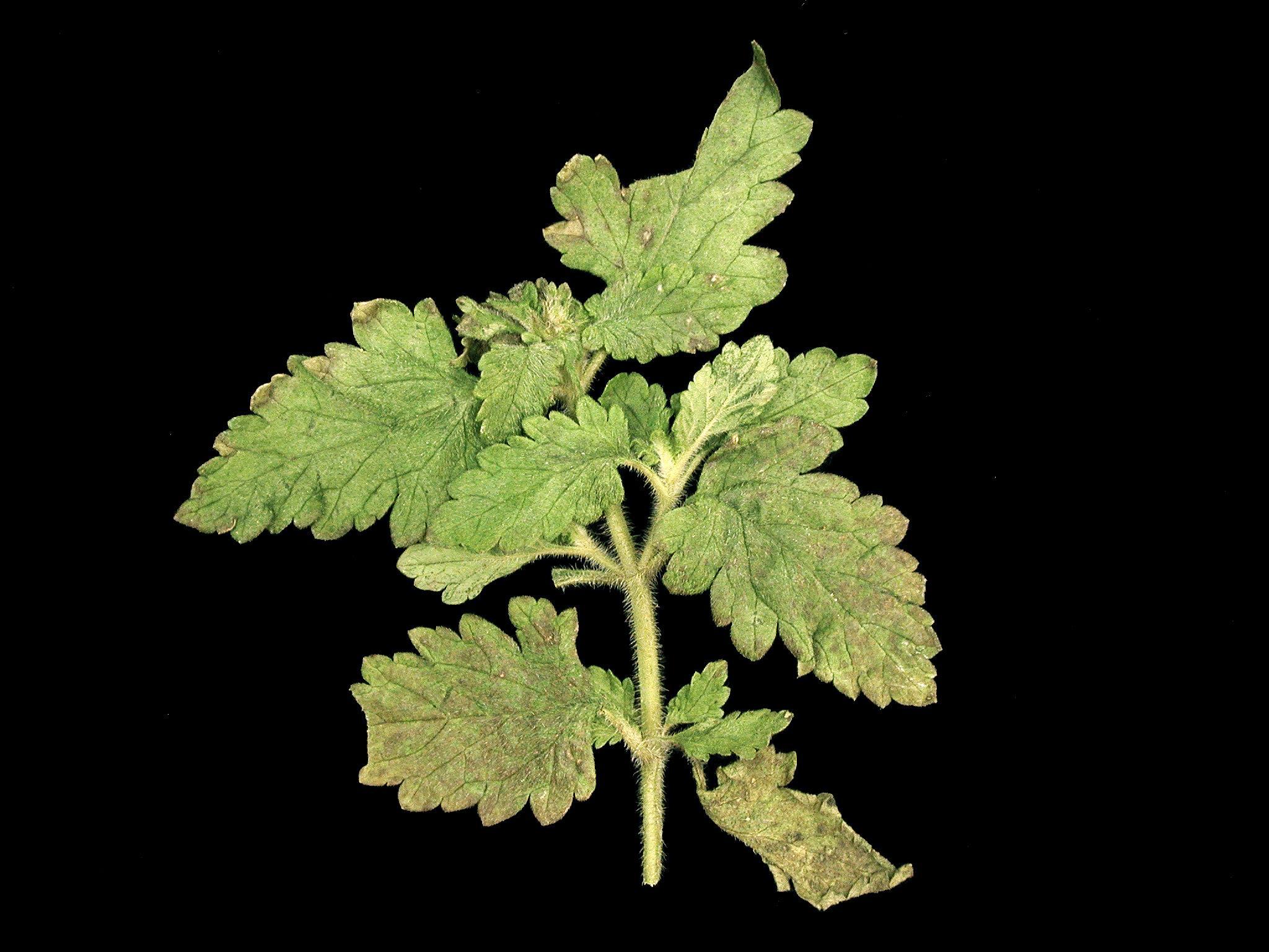
Description: Des feuilles de verveine présentent de petites taches brunes qui tendent à se regrouper pour former de larges plages brunes. Une brûlure de la marge des feuilles est également visible. Les tests de laboratoire ont révélé la présence du virus de la tache nécrotique de l'impatiente (INSV).
Crédit photo: Laboratoire d'expertise et de diagnostic en phytoprotection - MAPAQ
Légende: Taches et brunissement sur feuilles de verveine
