Skip to main content
Home
Toggle menu
Login
  • Home
  • Rechercher
    • Symptômes et dommages sur les plantes
    • Culture
    • Insectes et autres invertébrés
    • Mauvaises herbes et autres plantes
    • Virus et viroïdes
    • Champignons
    • Nématodes
    • Bactéries et phytoplasmes
  • Identifier
  • Glossaire
  • Image Gallery

Image Gallery

  1. Home
  2. Image Gallery
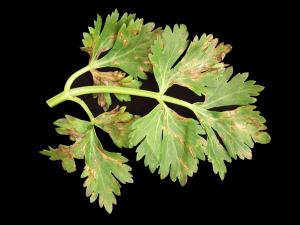
Céleri - Brûlure hâtive (Cercospora apii)
Céleri - Brûlure hâtive (Cercospora apii)

Céleri - Brûlure hâtive

Une feuille de céleri montre des taches irrégulières beiges avec une marge foncée. En se développant, les taches se regroupent pour former de larges brûlures. Le pétiole montr...
Image Contenu lié à l’Image
Céleri - Brûlure hâtive (Cercospora apii)
Céleri - Brûlure hâtive (Cercospora apii)

Céleri - Brûlure hâtive

Le pétiole d’une feuille de céleri montre des taches allongées brunes, déprimées et d’aspect humide. Les feuilles montraient des taches irrégulières beiges avec une marge fonc...
Image Contenu lié à l’Image
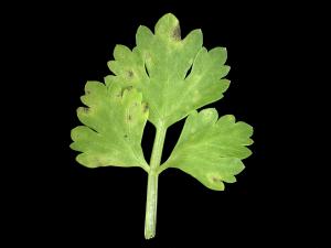
Céleri - Brûlure hâtive (Cercospora apii)
Céleri - Brûlure hâtive (Cercospora apii)

Céleri - Brûlure hâtive

Des folioles de céleri montrent des taches irrégulières beiges avec une marge légèrement plus foncée. Ces taches ont une dimension moyenne de 3 à 4 mm. En se développant, les ...
Image Contenu lié à l’Image
Céleri - Chimère
Céleri - Chimère

Céleri - Chimère

Un plant de céleri (cv 'Utha') montre une anomalie de coloration sur les feuilles qui se caractérise par un blanchiment de la marge et une mosaïque blanche. Les feuilles affec...
Image Contenu lié à l’Image
Céleri - Coeur noir (Carence en Ca)
Céleri - Coeur noir (Carence en Ca)

Céleri - Coeur noir (Carence en Ca)

Un morceau de pétiole de céleri provenant du cœur des plants montre une coloration brun-noir de l’extrémité des jeunes feuilles. Une délimitation nette sépare les tissus affec...
Image Contenu lié à l’Image
Céleri - Coeur noir (Carence en Ca)
Céleri - Coeur noir (Carence en Ca)

Céleri - Coeur noir (Carence en Ca)

Une vue rapprochée d’un morceau de pétiole de céleri provenant du cœur des plants montre une coloration brun-noir de l’extrémité des jeunes feuilles. Une délimitation nette sé...
Image Contenu lié à l’Image
Céleri - Coeur noir (Carence en Ca)
Céleri - Coeur noir (Carence en Ca)

Céleri - Coeur noir (Carence en Ca)

Des morceaux de pétiole de céleri provenant du cœur des plants montrent une coloration brun-noir de l’extrémité des jeunes feuilles. Une délimitation nette sépare les tissus a...
Image Contenu lié à l’Image
Céleri - Coeur noir (Carence en Ca)
Céleri - Coeur noir (Carence en Ca)

Céleri - Coeur noir (Carence en Ca)

Un morceau de pétiole de céleri provenant du cœur des plants montre une coloration brun-noir de l’extrémité des jeunes feuilles. Une délimitation nette sépare les tissus affec...
Image Contenu lié à l’Image
Céleri - Coeur noir (Carence en Ca)
Céleri - Coeur noir (Carence en Ca)

Céleri - Coeur noir (Carence en Ca)

Un morceau de pétiole de céleri provenant du cœur des plants montre une coloration brun-noir de l’extrémité des jeunes feuilles. Une délimitation nette sépare les tissus affec...
Image Contenu lié à l’Image
Céleri - Fusariose vasculaire (Fusarium oxysporum)
Céleri - Fusariose vasculaire (Fusarium oxysporum)

Céleri - Fusariose vasculaire

Sur des plants de céleri, la moitié du système vasculaire du collet est brun. Le collet et la partie supérieure des racines montrent une pourriture sèche d’aspect liégeux. Les...
Image Contenu lié à l’Image
Céleri - Fusariose vasculaire (Fusarium oxysporum)
Céleri - Fusariose vasculaire (Fusarium oxysporum)

Céleri - Fusariose vasculaire

Sur un plant de céleri, le collet et la partie supérieure des racines montrent une pourriture sèche d’aspect liégeux. Le système vasculaire du collet est brun (non visible ici...
Image Contenu lié à l’Image
Céleri - Fusariose vasculaire (Fusarium oxysporum)
Céleri - Fusariose vasculaire (Fusarium oxysporum)

Céleri - Fusariose vasculaire

Sur un plant de céleri, le collet et la partie supérieure des racines montrent une pourriture sèche d’aspect liégeux. Le système vasculaire du collet est brun (non visible ici...
Image Contenu lié à l’Image
Céleri - Fusariose vasculaire (Fusarium oxysporum)
Céleri - Fusariose vasculaire (Fusarium oxysporum)

Céleri - Fusariose vasculaire

Les feuilles basales d’un plant de céleri sont jaunes et légèrement flétries. Le collet et la partie supérieure des racines montrent une pourriture sèche d’aspect liégeux. Le ...
Image Contenu lié à l’Image
Céleri - Fusariose vasculaire (Fusarium oxysporum)
Céleri - Fusariose vasculaire (Fusarium oxysporum)

Céleri - Fusariose vasculaire

Les feuilles basales d’un plant de céleri sont jaunes et légèrement flétries. Le collet et la partie supérieure des racines montrent une pourriture sèche d’aspect liégeux. Le ...
Image Contenu lié à l’Image
Céleri - Fusariose vasculaire (Fusarium oxysporum)
Céleri - Fusariose vasculaire (Fusarium oxysporum)

Céleri - Fusariose vasculaire

La partie basale des pétioles extérieurs d’un plant de céleri (cv 'Victoria') est jaune. Le système vasculaire du collet est brun. Les tests de laboratoire ont révélé la prése...
Image Contenu lié à l’Image
Céleri - Fusariose vasculaire (Fusarium oxysporum)
Céleri - Fusariose vasculaire (Fusarium oxysporum)

Céleri - Fusariose vasculaire

La partie basale des pétioles extérieurs d’un plant de céleri (cv 'Victoria') est jaune. Le système vasculaire du collet est brun. Les tests de laboratoire ont révélé la prése...
Image Contenu lié à l’Image
Céleri - Maladie du pétiole brun (Pseudomonas cichorii)
Céleri - Maladie du pétiole brun (Pseudomonas cichorii)

Céleri - Maladie du pétiole brun

Présence de zones de pourriture brune à la base des pétioles de céleri. Les zones s’étendent vers le haut jusqu’à environ le quart de la hauteur des pétioles. Les tissus sont ...
Image Contenu lié à l’Image
Céleri - Maladie du pétiole brun (Pseudomonas cichorii)
Céleri - Maladie du pétiole brun (Pseudomonas cichorii)

Céleri - Maladie du pétiole brun

Une vue rapprochée de la présence de zones de pourriture brune à la base des pétioles de céleri. Les zones s’étendent vers le haut jusqu’à environ le quart de la hauteur des p...
Image Contenu lié à l’Image
Céleri - Maladie du pétiole brun (Pseudomonas cichorii)
Céleri - Maladie du pétiole brun (Pseudomonas cichorii)

Céleri - Maladie du pétiole brun

Une vue rapprochée de la présence de zones de pourriture brune à la base des pétioles de céleri. Les zones s’étendent vers le haut jusqu’à environ le quart de la hauteur des p...
Image Contenu lié à l’Image
Céleri - Maladie du pétiole brun (Pseudomonas cichorii)
Céleri - Maladie du pétiole brun (Pseudomonas cichorii)

Céleri - Maladie du pétiole brun

Une vue rapprochée de la présence de zones de pourriture brune à la base des pétioles de céleri. Les zones s’étendent vers le haut jusqu’à environ le quart de la hauteur des p...
Image Contenu lié à l’Image
Céleri - Nématode cécidogène du nord (Meloidogyne hapla)
Céleri - Nématode cécidogène du nord (Meloidogyne hapla)

Céleri - Nématode cécidogène du nord (Meloidogyne hapla)

Une vue rapprochée du système racinaire d’un plant de céleri montre de nombreux petits renflements beiges d’une grosseur variable. Les observations microscopiques ont révélé l...
Image Contenu lié à l’Image
Céleri - Nématode cécidogène du nord (Meloidogyne hapla)
Céleri - Nématode cécidogène du nord (Meloidogyne hapla)

Céleri - Nématode cécidogène du nord (Meloidogyne hapla)

Un plant de céleri montre un jaunissement localisé de certaines feuilles basales. Les racines portent de multiples petits renflements beiges (peu visible ici). Les observation...
Image Contenu lié à l’Image
Céleri - Nématode cécidogène du nord (Meloidogyne hapla)
Céleri - Nématode cécidogène du nord (Meloidogyne hapla)

Céleri - Nématode cécidogène du nord (Meloidogyne hapla)

Un plant de céleri montre un jaunissement localisé de certaines feuilles basales. Les racines portent de multiples petits renflements beiges (peu visible ici). Les observation...
Image Contenu lié à l’Image
Céleri - Nématode cécidogène du nord (Meloidogyne hapla)
Céleri - Nématode cécidogène du nord (Meloidogyne hapla)

Céleri - Nématode cécidogène du nord (Meloidogyne hapla)

Le système racinaire d’un plant de céleri montre de nombreux petits renflements beiges d’une grosseur variable. Les observations microscopiques ont révélé la présence du némat...
Image Contenu lié à l’Image
Céleri - Phytoplasme de la jaunisse de l'aster
Céleri - Phytoplasme de la jaunisse de l'aster

Céleri - Phytoplasme de la jaunisse de l'aster

Un plant de céleri (cv 'Tango') a été dépouillé de quelques branches extérieures pour montrer une partie du cœur. On observe des malformations sévères du jeune feuillage qui s...
Image Contenu lié à l’Image
Céleri - Phytoplasme de la jaunisse de l'aster
Céleri - Phytoplasme de la jaunisse de l'aster

Céleri - Phytoplasme de la jaunisse de l'aster

Les feuilles du cœur d’un plant de céleri (cv 'Tango') sont tordues, enroulées et parfois soudées. Les feuilles extérieures étaient jaunâtres, mais non déformées. Tous les pét...
Image Contenu lié à l’Image
Céleri - Phytoplasme de la jaunisse de l'aster
Céleri - Phytoplasme de la jaunisse de l'aster

Céleri - Phytoplasme de la jaunisse de l'aster

Les feuilles du cœur d’un plant de céleri (cv 'Tango') sont tordues, enroulées et parfois soudées. Les feuilles extérieures étaient jaunâtres, mais non déformées. Tous les pét...
Image Contenu lié à l’Image
Céleri - Phytoplasme de la jaunisse de l'aster
Céleri - Phytoplasme de la jaunisse de l'aster

Céleri - Phytoplasme de la jaunisse de l'aster

Les feuilles du cœur d’un plant de céleri (cv 'Tango') sont tordues, enroulées et parfois soudées. Les feuilles extérieures étaient jaunâtres, mais non déformées. Tous les pét...
Image Contenu lié à l’Image
Céleri - Phytoplasme de la jaunisse de l'aster
Céleri - Phytoplasme de la jaunisse de l'aster

Céleri - Phytoplasme de la jaunisse de l'aster

Un plant de céleri (cv 'Colmarion') a été dépouillé de quelques branches pour montrer le cœur. On observe de jeunes feuilles jaunes et tordues. Les pétioles montrent un début ...
Image Contenu lié à l’Image
Céleri - Phytoplasme de la jaunisse de l'aster
Céleri - Phytoplasme de la jaunisse de l'aster

Céleri - Phytoplasme de la jaunisse de l'aster

Des plants de céleri (cv 'Colmarion') montrent des feuilles extérieures jaunâtres, mais non déformées. Les pétioles sont jaunes. Dans le cœur des plants, on aperçoit des feuil...
Image Contenu lié à l’Image
Céleri - Pourriture des racines (Pythium ultimum)
Céleri - Pourriture des racines (Pythium ultimum)

Céleri - Pourriture des racines

Le système racinaire d’un plant de céleri montre de nombreuses racines secondaires brunes et humides. Les feuilles basales sont vert clair à jaunes (non visible ici). Les test...
Image Contenu lié à l’Image
Céleri - Pourriture des racines (Pythium ultimum)
Céleri - Pourriture des racines (Pythium ultimum)

Céleri - Pourriture des racines

Comparaison entre des feuilles de céleri affectées et saines. Les feuilles basales sont vert clair à jaunes tandis que les feuilles médianes sont vertes. Le système racinaire ...
Image Contenu lié à l’Image
  • Afficher plus
Logo IRIIS
L’outil IRIIS est enrichi par le MAPAQ
et ses collaborateurs
Liens 

 À propos
 Fournir des images
 Crédits photo
 Glossaire
 Conditions d'utilisation
 Admin

Contact 

Téléphone : 418 523-5411
Sans frais : 1 888 535-2537
Télécopieur : 418 644-5944
Courriel : iriisphytoprotection@craaq.qc.ca

Adresse 

Édifice Delta 1
2875, boulevard Laurier, 9e étage

Québec (Québec) G1V 2M2
Canada

Propulsé par craaq

Ce site est optimisé pour Mozilla Firefox et Google Chrome

© CRAAQ, 2023 Tous droits réservés

       
sfy39587stp18
Drupal 9 Appliance - Powered by TurnKey Linux